Inhalt und Aktuelles
Oldenburg
Themenwelten
Trollibus
Pekol / VWG / WOAG
Eisenbahnwelt
Landbus Kraftpost & Co
Historie und Bahnpost
Galerie
Gästebuch
     
 


Aktuelles: Huntebrücke bei Elsfleth - Oldenburger Gleishalle - Ausbesserungswerk - Friesenbrücke - Vareler Fußgängerbrücke - Reaktivierung von HP - Eisenbahnen im Oldenburger Land Streckenausbau zwischen Oldenburg und Wilhelmshaven - NWB - BÜP - Historie - Bahnhöfe und Anlagen - Bahnstrecken im Oldenburger Land - Museumseisenbahnen in Nordwestdeutschland - Bahnhof Quakenbrück - Rückblicke auf Bahnfahrten mit dem VLV - Lokomotiven der G.O.E. -Dampfloklink 


Am 25.02.2024 rammte ein aus Oldenburg kommendes niederländisches Binnenschiff die Eisenbahnbrücke über die Hunte bei Elsfleth so schwer, das sie für den Bahnverkehr gesperrt werden musste. Seitdem fuhr die RS 4 der Nordwestbahn nur noch zwischen Nordenham und Brake, sowie Hude und Bremen. Zwischen Brake und Hude wurden zunächst Ersatzbusse eingesetzt. Ab 06.03.2024 wurde zwischen Nordenham und Berne ein Ersatzverkehr mit Bussen eingerichtet. Die Züge fuhren nur noch zwischen Berne und Bremen. Da die Eisenbahnbrücke so schwer beschädigt war, wurde sie Ende April 2024 zunächst durch  eine Ersatzbrücke ersetzt, um vor allem den Güterverkehr zu und von den Unterweserhäfen wieder herzustellen. Da die Ersatzbrücke aber nicht beweglich ist, können keine Seeschiffe mehr über die Hunte den Hafen in Oldenburg erreichen. Daher solle der bis 2030 geplante Neubau der aus dem Jahr 1927 stammenden Eisenbahnbrücke beschleunigt werden.

Jetzt rächte sich auch, das man vor Jahrzehnten die Bahnstrecke zwischen Brake und Oldenburg abgerissen hat. Denn in den 70er Jahren des letzten Jahrhunderts wurde diese Verbindung als Ausweichstrecke genutzt, wenn wegen Bauarbeiten die Huntebrücke gesperrt werden musste. Siehe dazu mehr im Kapitel Bahnstrecke Oldenburg – Brake auf dieser Seite.

Bereits am 23.07.2024 kam es zu einer neuen Unterbrechung der Strecke, da ein Tankmotorschiff mit der Behelfsbrücke zusammenstieß. Bereits am 16.08.2024 wurde das neue Ersatzbrückenteil  eingehoben und am 23.08.2024 wurde die Bahnstrecke wieder freigegeben. Wie es mit dem Bahnverkehr der NWB weitergeht erfährt man auf der Internetseite der NWB. Im Juni 2025 berichtete die NWZ das noch im Juni  die Deutsche Bahn mit den ersten Arbeiten für die neue Eisenbahnbrücke über die Hunte die die Stadt Elsfleth mit der Gemeinde Berne verbindet starten wolle. Die neue Brücke wird demzufolge westlich Richtung Oldenburg neben der aktuellen Behelfsbrücke gebaut. So können auch während der Bauarbeiten weiterhin Züge fahren. Auf der neuen Brücke soll es neben dem Bahngleis und dem Rettungsweg auch einen 2,5 Meter breiten Fuß- und Radweg geben. Der Huntebrücken Neubau soll ein Zwilling der Friesenbrücke werden und die Baukosten sich auf rund 230 Mio. Euro belaufen.

Es bleibt nur zu hoffen das man den Neubau schneller bewerkstelligt, als es bei der Friesenbrücke der Fall war.


Der Bahnhof in Oldenburg (Oldbg) ist der einzige in Niedersachsen mit einer vollständigen Bahnsteighalle. Lange Zeit war aber das Schicksal der Gleishalle aber ungewiss, da die Bahn sie ersetzen wollte. Bei einem Besuch im Oldenburger Hauptbahnhof am 25.08.2016 sprach sich Bahnchef Grube aber für eine Lösung aus, die den historischen Anspruch aufnehmen soll und gab die Zusage keine schmucklose Überdachung für jeden Bahnsteig bauen zu wollen.

Die Deutsche Bahn kündigte im Frühjahr 2022 an die denkmalgeschützte Gleishalle des Oldenburger Hauptbahnhofs bis Ende 2027 zu sanieren. Bereits 2016 hatte die Deutsche Stiftung Denkmalschutz klargestellt, dass „die Gleishalle ein unverzichtbarer Bestandteil des überregional bedeutenden Bahnhofs-Ensembles in Oldenburg ist“.
Mit einem symbolischen Knopfdruck starteten am 22.02.2024 Vertreter der DB und der Stadt das Millionenprojekt (ca. 80 Mio Euro). Die Arbeiten beginnen mit dem Rückbau der Konstruktion an Gleis 7/8. Dieser Teil der Gleishalle soll 2025 wieder stehen.

Erste Arbeiten hatten bereits im Dezember 2023 begonnen, der Hauptbahnhof wurde somit ab Dezember 2023 zur Großbaustelle. Die Gleishalle über den Bahnsteigen wird in drei Bauabschnitten zunächst demontiert, in Einzelteile zerlegt, in Werkstätten überarbeitet und dort repariert werden, bevor die Konstruktion im Bahnhof wieder aufgebaut wird. Teile, die nicht aufgearbeitet werden können, sollen durch neue ersetzt werden. Der Vorstand der DB Station & Service AG habe nun Geld für das Projekt freigeben. Dabei solle die Gleishalle, wie bei ihrer Eröffnung im Jahr 1915, in frischem Glanz erstrahlen. In welcher Farbe, stehe aber noch nicht fest, da der ursprüngliche Anstrich erst bei der Aufarbeitung der Stahlteile zum Vorschein komme. Es wird aber ein Anthrazit-Ton vermutet. Es werde während der Arbeiten immer eine der drei Hallen stehen bleiben bzw. die dann restaurierte Halle genutzt werden können. Saniert werden auch die 54 Köpfe der Fundamente und ins Dach werden die Scheiben wieder eingesetzt. Auch der Austausch der längs verlaufenden Mauer in Richtung ZOB, der Rückbau der Stangenverbände an den vorderen Seiten der Gleishalle, die 1960 eingebaut worden waren, der Rückbau der sechs Lastenaufzüge, der Neubau eines Gepäckbahnsteiges nach historischem Vorbild sowie die Erneuerung von Beleuchtung und Lautsprecheranlage gehören danach zu den Baumaßnahmen. Begonnen werde mit den Arbeiten bei der im Norden gelegenen Gleishalle. Der Bahnsteig 5/6, auf dem die Züge Richtung Bremen und Leer abfahren, werde bei dieser Gelegenheit gleich verlängert. Die Sanierung der historischen Gleishalle des Oldenburger Hauptbahnhofs wird nun aber länger dauern als zunächst angenommen. Die Begutachtung der Stahlträger der drei Hallenschiffe aus dem Jahr 1915 hat ergeben, dass die Schäden umfangreicher als zunächst angenommen sind. Dementsprechend ist auch die Sanierung aufwendiger und der Bauablauf muss angepasst werden. Die ursprünglich für Ende 2027 geplante Fertigstellung verschiebt sich daher nun auf voraussichtlich Ende 2029. Dies erklärte DB-Gesamtprojektleiter Felix Burckhardt am Dienstag den 3. Juni 2025, der Oldenburger Stadtbaurätin Christine-Petra Schacht bei einem Rundgang durch die Werkshallen des Stahlbauunternehmens SSM GmbH im niedersächsischen Westoverledingen. Die Spezialfirma ist damit beauftragt, die Stahlträger der Gleishalle aufzuarbeiten. Dabei zeigten sich insbesondere unerwartet starke Korrosionsschäden, was den Planungs- und Prüfaufwand der Experten deutlich erhöht.

Aber besser als gar keine Sanierung, denn ursprünglich plante die Bahn ja aus Kostengründen einen Abriss der Konstruktion und den Bau moderner Unterstände aus Beton nach Vorbild des Hauptbahnhofs in Hannover. Stadtverwaltung, Rat und Oldenburgische Landschaft setzten sich in den vergangenen Jahren aber für eine Sanierung ein. Auch die Deutsche Stiftung Denkmalschutz schaltete sich ein, da das Ensemble des von 1911 bis 1915 in Form des Jugendstils errichteten Bahnhofs mit Fürstenpavillon, Empfangshalle und Gleishalle  in Gänze unter Denkmalschutz steht.

In anderen Fällen spielte der Denkmalschutz bei erhaltenswerten Bauten dagegen keine Rolle siehe unter Themenwelten.

Blick zum Hauptbahnhof mit den verglasten Bahnsteighallen aus Richtung von der "Elisabethbrücke" 1963 Foto:©1963 A.Stolle

                                                                                                            

Foto Mitte: Die fensterlose  Gleishalle des HBF Oldenburg am 28.Mai 2016. Foto unten: Trostloser Anblick im Mai 2017 auf fensterlose die glaslose und mit Holzbalken abgestützte Gleishalle vom ZOB aus. Fotos: ©ArchivStolle


Das ehemalige Ausbesserungswerk der Bahn in Oldenburg, ist aus der im Jahre 1867 errichteten Eisenbahnwerkstätte der Großherzoglichen Oldenburgischen Eisenbahn (GOE) hervorgegangen und hatte seit dieser Zeit vielen Oldenburgern eine sichere Existenz geboten.

Die Leitung der Werkstätten oblag einem Maschinenmeister, im Jahre 1872 waren bereits 90 Handwerker, 23 Handlanger und 7 Lehrlinge beschäftigt, die eigentliche Werkstattleitung vor Ort bestand aus 3 Werkmeistern, bis 1918 stieg die Zahl der Beschäftigten auf 790 an. Zunächst befanden sich die Werkstätten südlich der Bahn rechts vom Empfangsgebäude in Richtung der Bahnhofstraße und der Stadt, ab 1892 begann die Errichtung geräumiger Werkhallen nördlich der Bahn an der Karlstraße. Die Hauptwerkstätte erledigte alle bei der GOE anfallenden Arbeiten jedes Schwierigkeitsgrades und für alle dort genutzten Lokomotiven.

Nach der Zusammenfassung der Länderbahnen zur Deutschen Reichsbahn 1920 erfolgte am 01.02.1925 eine Zusammenfassung des Werkstattwesens bei der das Reichsbahn, die Zuständigkeit des Ausbesserungswerk Oldenburg fiel an die Direktion Altona. Bis 1928 behielt man noch die Instandsetzung von Reisezugwagen und der in Oldenburg umgebauten G7-Lokomotiven bei, nachdem das Werk zu einer Betriebsabteilung des Ausbesserungswerk Sebaldsbrück degradiert worden war, wurde die Arbeit auf die Güterwagenausbesserung beschränkt. Die Arbeiterzahl sank dadurch auf 200 Beschäftigte. Ein Brand zerstörte 1929 die alte Wagenhalle mit ca. 40 Güterwagen, Dank der seit 1877 existierenden Werksfeuerwehr konnte aber noch größerer Schaden verhindert werden. Die Halle wurde anschließend in moderner Bauart wiederhergestellt, dort wurden nun vor allen Kühlwagen instandgesetzt. Ab 1934 beschaffte die DR 1.000 Kühlwagen neuerer Konstruktion in verschiedenen Bauarten, die überwiegend in Oldenburg unterhalten wurden. Dadurch nahm die Zahl der Arbeitsplätze allmählich wieder zu mit ca. 800 erreichte sie ihren Höchststand während des zweiten Weltkrieges. Diesen überstand das Werk relativ unbeschadet, lediglich bei einem Angriff im April 1945 wurden einige Gebäude von Sprengbomben getroffen, 13 Beschäftigte, darunter 11 Lehrlinge, fanden dabei den Tod. Sofort nach Kriegsende begannen die Aufräumarbeiten der Wiederaufbau beschädigter Gebäude konnte bereits 1947 abgeschlossen werden.

Bereits im Sommer 1945 begann man mit der Instandsetzung von Güterwaggons und am 21.08.1945 war aus der Werksabteilung wieder ein selbstständiges Werk geworden. Sofort nach dem 2.Weltkrieg hatte man in Oldenburg auch eine provisorische Lokomotivwerkstatt eingerichtet, die wöchentlich zwei wiederhergestellte Maschinen auf die Reise schickte. Die Winterleistung 1946/1947 betrug laut eines Zeitungsberichts 44 Lokomotiven. Im Waggonausbesserungswerk Oldenburg verließen 1947 wöchentlich 400 reparierte Güterwagen die Hallen. Das Doppelte seit Wiederaufnahme der Arbeit 1945. Im Winter 1946/47 lag die Temperatur in den Hallen stets unter 0 Grad. 1200 Arbeiter hielten darin aus und die Leistung betrug trotzdem 70 Prozent der Normalkapazität.

Unter den 23.000 Waggons, die 1947 instandgesetzt wurden, befanden sich ca. 2.800 Kühlwagen. Mit 250 Beschäftigten hatte man 1945 wieder angefangen und 1949 zählte das Werk 1.400 Beschäftigte, damit war das Werk der größte Arbeitgeber der Stadt Oldenburg. Ab 1952 wurden die gesamten Kühlwagen der Deutschen Bundesbahn in Oldenburg instandgesetzt, im Jahre 1957 arbeiteten noch 1.000 Beschäftigte im Werk. Das Werk hatte einen guten Ruf auch wegen seiner sozialen Einrichtungen und der guten Lehrlingsausbildung. Doch bereits in den 50er Jahren gab es schon erste Existenzängste um die Zukunft des Werkes, im Jahre 1960 fanden dort noch 550 Menschen Beschäftigung. Trotzdem konnte das Ausbesserungswerk Oldenburg im Jahre 1967 noch sein 100jähriges Bestehen feiern, zum Ende des Jahres wurde das Werk aber zu einer Bremer Werksabteilung umgewandelt. Immer mehr Aufträge wurden in der Folgezeit abgezogen, ganze Abteilungen geschlossen. Die Mitarbeiterzahl sank von 400 im Jahre 1977 auf 200 im Jahre 1982, nach 116 Jahren endete am 31.12.1983 die Geschichte dieser Eisenbahnwerkstatt, die ca. 100 verbliebenden Mitarbeiter wurden ins Ausbesserungswerk Bremen-Sebaldsbrück versetzt.

Die Gebäude wurden in den Folgejahren vermietet und Ende der 90er Jahre wegen der Anlage des Zentralen Omnibusbahnhofes abgerissen. Die Hoffnung für ein zunächst in Aussicht gestelltes neues Ausbesserungswerk in Oldenburg für die NWB erfüllte sich 1999 nicht, da man dieses dann in Osnabrück ansiedelte.


Vor allen nach der Einführung eines Stundentaktes und die Möglichkeit, mit einen geringen Zuschlag auch das günstige Niedersachsen-Ticket zu nutzen, war die Anzahl der Reisenden auf der Strecke von Leer nach Groningen stark angestiegen, an Wochentagen verkehrten zuletzt 14 Nahverkehrszüge täglich. Die DB hatte gerade erst einen eigenen Fahrkartenschalter in Groningen eingerichtet und für den Ausbau der Bahnstrecke hatten die Niederlande auf ihrer Seite bereits 85 Mio EUR eingeplant und ab 2018 sollten Schnellzüge von Groningen nach Leer fahren und später sogar bis Bremen.

Diese Pläne wurden aber am 03.12.2015 je zunichte gemacht, als ein Frachtschiff gegen die geschlossene Friesenbrücke krachte und die denkmalgeschützte Brücke über die Ems unbrauchbar machte. Eine Reparatur ist nicht mehr möglich, ein Neubau wird nach Aussagen der DB Jahre dauern.

Die Eisenbahnverbindung zwischen den Niederlanden und Ostfriesland hat schon eine bewegte Geschichte hinter sich. Begonnen hat sie als am 16.11.1864 die Niederlande mit dem KGR Hannover einen Vertrag schlossen, worin sich das Land verpflichtete bis Ende 1867 eine Anschlussbahn von Harlingen über Leeuwarden und Groningen bis Neuschanz zu bauen. Hannover wollte den entsprechenden Anschluss an die Emslandstrecke bauen. Während die Niederlande ihren Streckenteil am 01.11.1868 eröffneten, war Hannover bereits 1866 in Preußen aufgegangen, das kein Interesse mehr an der Strecke hatte. Allerdings hatte das Großherzogtum Oldenburg eine Option auf den Anschluss, denn dieser war wichtig für die Rentabilität der von der GOE 1869 fertiggestellten Bahnstrecke Oldenburg - Leer. Seit 1869 gab es langwierige Verhandlungen zwischen den beteiligten Staaten, bei der auch die Emsüberquerung eine Rolle spielte, denn Papenburg sah seine Schifffahrt gefährdet und forderte eine teurere Hochbrücke statt der geplanten kostengünstigeren Drehbrücke. Dies hätte aber das Projekt ungeheuer verteuert und fast scheitern lassen. Man vereinbarte schließlich, dass ein Schlepper zur Assistenz beim Passieren der geplanten Drehbrücke angeschafft wird.

1874 wurde der Vertrag abgeschlossen, Oldenburg übernahm den Bau der 18 Km Bahnstrecke von Ihrhove nach Neuschanz, die am 26.11.1876 eröffnet wurde. Die Emsüberquerung erfolgte zunächst über die zwischen 1874 und 1876 errichtete 345m lange integrierte Drehbrücke. Aber bereits in der Nacht zum 31.01.1877 brachte eine Sturmflut die Emsbrücke zum Einsturz. Ab dem 06.04.1877 konnte aber bereits wieder über eine Notbrücke gefahren werden, da der eiserne Unterbau wiederverwendet werden konnte.  Am 12.10.1877 konnte dann die neue Brücke in Betrieb genommen werden.

Am 26.07.1913 war die zwischen Hilkenborg und Weener gelegene Brücke Schauplatz eines vielbeachteten Unfalles. Ein wegen Nebels verspäteter Personenzug aus Oldenburg konnte am Bahnhof Hilkenborg erst unmittelbar am Ausfahrtsignal zum Stehen gebracht werden. Da der Zugführer es versäumte, sich von der Stellung des Signals zu überzeugen, gab er nach Einstieg der Fahrgäste das Abfahrsignal und der Zug setzte sich in Bewegung. Der Lokführer bemerkte erst bei der Auffahrt zur Drehbrücke, das diese parallel in den Fluss gedreht war, in letzter Minute konnte er die Wagen noch wenige Meter auf den festen Brückenteil zum Halten bringen, die Lok allerdings kippte mit den vorderen Teil über den Brückenabschluss und blieb mit dem Federausgleichhebel an der letzten Querschwelle hängen, dabei wurde die Lok von der Tender-Hauptkupplung gehalten. Für die Bergung musste die Marine mit einen aus Wilhelmshaven  herbeigeschafften Schwimmkran aushelfen.

Zwischen 1924 und 1926 entstand hier eine neue Rollklappbrücke, sie besteht aus sechs Abschnitten mit jeweils 50 m Stützweite und einer Klappbrücke mit 30 m Spannweite. Diese in den letzten Kriegstagen 1945 zerstörte Brücke wurde erst zwischen 1950 und 1951 im gleichen Stil wieder neu aufgebaut. Ein seitlich angelegter Fußweg ermöglichte für Spaziergänger und Radwanderer eine Emsquerung vom Rheiderland ins rechtsemische Overledingerland. Damit bildete die Brücke für Radwanderer den Knotenpunkt von Fahrradrouten auf der anderen Seite der Ems.

Da die Brücke immer wieder ein Hindernis für Schiffsneubauten der Papenburger Meyer-Werft zur Nordsee darstellte, wurde bei Schiffsüberführungen per Schwimmkran dass Mittelteil der gewaltigen Brücke herausgenommen. Dennoch bildete diese Stelle jeweils das Nadelöhr bei der Ems-Passage dieser Luxusliner. Die geöffnete Eisenbahnbrücke über die Ems wurde am 31.01.1998 von der Ladung eines Schleppverbandes gerammt. Da sie sich wegen der Schäden nicht mehr schließen lässt, musste der Bahnverkehr zwischen Leer und Groningen einige Tage eingestellt werden.

Die Bahnstrecke war bis etwa 1975 die kürzeste Verbindung von Hamburg nach Amsterdam. Im Jahre 1968 wurden die Züge E 490/ 491 und E 492/493 auf den Streckenabschnitt zwischen Leer und Groningen mit niederländischen Personal auf deutschen Loks des BW Oldenburg gefahren.

Im Mai 2000 musste die Strecke Leer - Weener - Bunde - Nieuweschans/NL wegen Gleisschäden gesperrt werden. Während der niederländische Abschnitt schnell erneuert wurde und bereits im Juni 2000 die Bahngesellschaft NoordNed den Personenverkehr zwischen Nieuweschans und Groningen übernahm, began erst im Juni 2001 auf dem deutschen Abschnitt die Sanierung.

Am 1. März 2002 sollte der Verkehr auf der Strecke Oldenburg - Ihrhove - Nieuweschans/NL nach Abschluss der Sanierung wieder aufgenommen werden. Die DB Regio hatte die niederländische NoordNed mit dem Betrieb beauftragt, die bereits Groningen - Nieuweschans betrieb, damit es wieder durchgehende Züge  zwischen Groningen - Leer und Groningen - Oldenburg geben sollte. Aber trotz der beendeten Sanierung fuhren bis auf weiteres Busse, da laut DB AG noch technische Probleme zwischen deutscher und niederländischer Seite ausgeräumt werden müssten, wie die Emder Zeitung am 01.03.02 berichtete. Erst ab Juni 2002 fuhren dann auch wieder Züge zwischen Leer und Nieuweschans, dort musste man aber zunächst in den niederländischen Zug umsteigen, Grund war das die Züge im anderen Land nicht zugelassen waren. Erst nachdem 2006 Arriva die Strecke im Rahmen der ersten internationalen Ausschreibung übernommen hatte wurde endlich der durchgehenden Zugverkehr zwischen Leer und Groningen zunächst im 2-Stunden-Takt angeboten. Zuletzt lag die Zahl der täglichen Grenzpendler auf der Verbindung bei 700 Fahrgäste. Nun ruht aber erstmal auf lange Zeit hier der Zugverkehr, ab Leer bis Bad Nieuweschans fahren Busse, der Bahnhof in Weener ist verweist. 

Nach Angaben der Bahn wird die Friesenbrücke wohl frühestens in fünf Jahren wieder befahrbar sein, sollte statt einer Wiederherstellung der Bahnbrücke bei Weener weitergehende Ausbauten vereinbart werden, kann es sogar noch viel länger dauern. Inzwischen gab es auch schon Überlegungen, ob als Verbindung zwischen den beiden Ufern wieder eine Fähre eingesetzt werden könnte um der dortigen Bevölkerung große Umwege zu ersparen.

Im Gegensatz zur DB haben die Niederländer ein größeres Interesse an der Strecke, es wurde bereits untersucht, hier eventuell eine Notbrücke zu errichten, was sich aber wohl als nicht machbar rausstellte.

Die Deutsche Bahn teilte am 11.07.2016 mit, das ab Dezember voraussichtlich die Arriva Bahn von Groningen aus bis nach Weener fahren wird. Zwischen Weener und Leer fahren dann weiterhin Busse, da laut Schätzungen der Bahn die Friesenbrücke erst in rund fünf Jahren wieder befahrbar ist. Für rund 30 Million Euro soll die Brücke nun doch saniert und die zerstörten Elemente ersetzt werden. Aber erst frühestens 2020 könnten wieder Züge über die Brücke fahren, das hängt aber von den Ergebnissen der Untersuchung der Brückenpfeiler ab, die im Frühjahr 2017 vorliegen werden. 

Ende August 2017 wurde eine Einigung über die Beteiligung des Bundes für den Bau einer modernen Drehbrücke erzielt. Diese erlaubt die Durchfahrt von breiteren Schiffen und aufgrund der schnelleren Öffnungs- und Schließzeiten eine bessere Taktung im Bahnverkehr. Noch im November 2017  soll eine entsprechende Vereinbarung über die Vorfinanzierung des Neubaus der Friesenbrücke unterzeichnet werden. Bis zur Fertigstellung im Herbst 2024 ist man aber weiter auf einen Schienenersatzverkehr angewiesen.

Über den Stand der geplanten Fähre über die Ems berichtete 2018 der NDR und über die Planungen zum Wiederaufbau der Friesenbrücke hier ein Bericht der NOZ. Die Deutsche Bahn teilte am 18.06.2018 bei einer Informationsveranstaltung in Westoverledingen (Landkreis Leer) mit, das die  zerstörte Friesenbrücke bis 2024 durch die größte Drehbrücke Europas ersetzt werden soll. Geplant ist das der drehbare Teil eine Spannweite von 142 Metern haben und für Schiffsbreiten von bis zu 56 Metern ausgelegt sein soll. Siehe dazu auch Berichte des NDR und der NWZ. Am 21.08.2019 teilte nun endlich das Bundesverkehrsministerium im Rathaus Ihrhove mit, das im Jahr 2021 der erste Spatenstich für den Neubau der Friesenbrücke zwischen Westoverledingen und Weener erfolgen soll, Ende 2024 soll der Neubau abgeschlossen sein. Dann soll eine „europaweit einmalige Drehbrücke“ in Betrieb gehen. Das Segment zur Öffnung für den Schiffsverkehr werde etwa einen Meter angehoben und dann zur Westseite der Ems verschwenkt. Die Gesamtkosten für den Neubau sind auf 69,2 Millionen Euro veranschlagt, die zum Großteil vom Bund übernommen werden. Das Land wird die Kosten für den Bau eines 2,50 Meter breiten Fuß- und Radweges übernehmen. Es bleibt zu hoffen, dass es denn nun auch fristgerecht mit der Inbetriebnahme der Brücke klappt.
Immerhin wurde im Juli 2021 offiziell der Startschuss für die neue Drehbrücke gegeben, allerdings müssen zunächst die alten Brückenteile entfernt werden. Damit wurde im Dezember 2021 begonnen. Die ersten Brückenelemente trafen im August 2024 bereits an der Baustelle ein.

Die neue Eisenbahnbrücke über die Ems bei Weener soll die größte Hub-Dreh-Brücke Europas werden, deutlich schneller für Schiffe öffnen können als die alte Brücke und schnellere Eisenbahn-Verbindungen in die Niederlande ermöglichen. Bahnreisende sollen dann in weniger als zweieinhalb Stunden von Bremen nach Groningen fahren können. Das letzte fehlende Bauteil für die neue Friesenbrücke wurde in der Nacht zum 12.12.2024 eingebaut. Das riesige Drehsegment gilt als Herzstück des neuen Bauwerks über die Ems bei Weener. Mit der endgültigen Fertigstellung der Brücke  wurde Mitte 2025 gerechnet. Im Juli 2025 lagen zwar die Gleise auf der neuen Brücke, da sich aber die Bauarbeiten auf der Strecke auch wegen des schlechten Wetters verzögert haben, wird es die neue "Wunderlinie erst später geben. Dafür konnte aber am 05.09.2025 die Brücke zumindestens für Fußgänger und Radfahrer freigeben werden. Die ersten Züge überquerten Ende September bereits die Brücke dank einer baulichen Sonderlösung, wegen weiteren Arbeiten an den Schienen kann im Oktober die Brücke zeitweise nicht geöffnet werden. Nach den jetzigen Stand werden die Züge aber wohl erst im Sommer 2026 fahrplanmäßig über die Brücke rollen. 

Die Friesenfähre hatte bereits am 3. Oktober 2024 ihren Betrieb eingestellt. Sie fuhr als kleine Ersatzlösung für die 2015 beschädigte Friesenbrücke zwischen der Gemeinde Westoverledigen und der Stadt Weener. Die Bevölkerung hatte seinerzeit übrigens lange auf die versprochene Fähre gewartet, dessen Betriebsaufnahme immer wieder verschoben worden war. Erst im Herbst 2018 nahm die Fähre ihren Betrieb für rund einen Monat auf. Bis zum Frühjahr 2019 legte sie danach aber erst mal eine Winterpause ein. Die Fähre konnte nur zu den genannten bestimmten Zeiten betrieben werden, da die Ems ein tideabhängiges Gewässer ist. Tideabhängig bedeutet, dass auch die Ems von Ebbe und Flut betroffen ist. Da die Fähranleger nicht im Hauptfahrwasser lagen, konnte die Fähre die Anleger bei Ebbe nicht anfahren. Die Fähre hatte ihren Liegeplatz in Weener, die Nutzung der Fähre war kostenlos und bot Platz für 12 Personen (ohne Fahrrad) und 8 Personen mit Fahrrädern. 


Die historische Fußgängerüberführung am Vareler Bahnhof stand eigentlich unter Denkmalschutz, da sie bundesweit das einzige Bahnbauwerk dieser Konstruktionsweise war. Sie bestand aus einer Stahlbetonskelettkonstruktion eine Bauweise, die im Baujahr 1913 nur sehr selten angewendet wurde.

Um die Strecke Oldenburg-Wilhelmshaven elektrifizieren zu können, muss das Bauwerk angehoben werden, da die derzeitige Durchfahrtshöhe nur 4,90 Meter beträgt. Um die Oberleitung darunter verlegen zu können, ist aber eine Höhe von 5,70 Meter erforderlich. Eine entsprechende Erhöhung war im Rahmen des Denkmalschutzes von der Bahn auch geplant. Die Fundamente sollten verstärkt werden, danach sollte die gesamte Tragkonstruckstion freigelegt werden. Für den eigentlichen Anhebevorgang sollte das Tragwerk zusätzlich mit einem Stahlkorsett stabilisiert werden. In diesem sollte es dann angehoben, unterfüttert und auf das neue Fundament abgesetzt werden. Danach war vorgesehen die Brücke wieder aufzubauen. Doch dannn teilte die Bahn mit, dass die ursprünglichen Pläne zu teuer wären und nun ein Abriss erwogen wird.

Nach Abschluss der Planungen hätten sich laut Bahn geschätzte Kosten von circa 2,6 Millionen Euro (ohne die Aufzüge) ergeben, die damit immerhin schon mehr als das doppelte eines zeitgemäßen Neubaus betragen und somit auch als vertretbare Kostenobergrenze eingestuft wurden. Anfang 2017 erfolgte die Ausschreibung der Arbeiten, in deren Ergebnis dann allerdings nur ein Angebot eingereicht wurde. Dieses Angebot lag mit einer Angebotssumme von knapp 4 Millionen Euro deutlich über der Kostenobergrenze. Trotz weitergehenden Überlegungen, die sogar einen Teilabbruch und -wiederaufbau der alten Brücke beinhalteten, konnte keine deutliche Kostenreduzierung erreicht werden.

Da eine Erweiterung des Finanzierungsrahmens ebenfalls nicht möglich ist, hat sich die DB AG dazu entschlossen, bei der weiteren Planung den Erhalt des Baudenkmals nicht mehr weiter zu verfolgen, sondern die Planungen für einen Abbruch der alten und Neubau einer modernen Bahnsteigbrücke weiter zu verfolgen. Damit drohte einem weiteren Bauwerk der ehemalige GOE der Abriss.

Im Juli 2020 stellte die Bahn die Planung für die neue Bahnsteigbrücke in Varel vor, danach soll der Mittelteil der bestehenden Bahnsteigbrücke, die die beiden Bahnsteige miteinander verbindet, abgerissen werden, die beiden Treppenaufgänge sollen jedoch erhalten bleiben. Nach diesem Teilabriss wird nördlich des bestehenden Baus dann eine neue, höhere Brücke gebaut, die über die alten aber sanierten Treppenaufgänge zu erreichen ist. Außerdem bekommt die neue Brücke auch Fahrstühle. Siehe dazu den Artikel der NWZ.

Laut einen Bericht der NWZ vom 18.08.2020 ist geplant das bereits im Herbst 2020 mit dem Bau einer Behelfsbrücke begonnen werden kann. Der Abriss der alten Bahnsteigbrücke ist für April 2021 vorgesehen, danach soll der Brückenneubau beginnen und im Oktober 2021  abgeschlossen sein.

In Sande wurden dagegen bereits Fakten geschaffen. Am letzten Wochenende im September 2019 wurde bereits die sandsteinfarbige Bahnsteigbrücke in Sande, die gut 100 Jahre den Bahnhof prägte abgerissen. Die Verbindung zum Mittelbahnsteig, der ebenfalls beseitigt wurde, war bereits seit Jahren aus dem Verkehr genommen worden.

Nachtrag: In Varel konnte nach dem Abriss des Mittelteils der bestehenden Bahnsteigbrücke im Oktober 2021 die neue Bahnsteigbrücke eingehoben werden. Aber erst seit dem Abend des 06.04.2022 können alle Reisende die neue Bahnsteigbrücke nutzen, da erst zu diesem Zeitpunkt auch die zwei Aufzüge neben den historischen Treppenaufgängen betriebsbereit waren.


Das niedersächsische Wirtschaftsministerium hat angekündigt alte Bahnstationen zu reaktivieren, danach wäre eine Umsetzung für die Projekte Jaderberg, Kirchlinteln, Neermoor und Osnabrück-Rosenplatz kurzfristig möglich. Auch Bunde und Ihrhove wurden positiv bewertet und können voraussichtlich umgesetzt werden. Apen und Alfhausen wurden ebenfalls positiv bewertet, eine Umsetzung wäre danach mittel bzw langfristig möglich. Siehe Presseinformation des Landes Niedersachsen.

Der im Mai 1988 stillgelegte Haltepunkt Kirchhammelwarden im Süden der Stadt Brake wurde inzwischen bereits wieder reaktiviert. Nachdem die zuständige LNVG zugestimmt hatte, dass dort wieder ein Haltepunkt eingerichtet wird, hält dort seit 22.12.2014 die Regio S Bahn. Die Stadt Brake beteiligte sich an dem Projekt, obwohl es auch im Rat der Stadt Brake scheinbar eine große Anzahl von Bahngegnern gab, wie man einem Bericht der NWZ entnehmen konnte.

Dagegen mussten sich die Einwohner in  Jaderberg noch einige Jahre gedulden, bis auch sie wieder den Eisenbahnverkehr direkt vor Ort nutzen konnten. Seit dem 14.06.2020 hält die Nordwestbahn nun auch in Jaderberg, die Gemeinde Jade  hatte sich zwar schon seit geraumer Zeit darum bemüht, das der Haltepunkt Jaderberg wieder eingerichtet wird. Aber erst im Mai 2019 begannen dann endlich die Bauarbeiten für den Haltepunkt. Die Fertigstellung war eigentlich bereits für Dezember 2019 geplant gewesen, sie verzögerten sich dann aber um ein halbes Jahr.

Der neue Haltepunkt besteht aus zwei Bahnsteige mit einer Länge von jeweils 220 Meter , der Bahnsteig ist 55 cm hoch barrierefrei (Zugänge in den Zug sind höhengleich). Außerdem wurde für Blinde und Sehbehinderte Leiteinrichtungen angebracht. Auf den beiden Bahnsteigen findet man je ein Wetterschutzhaus mit Sitzbänken, Infovitrinen, eine dynamischer Anzeigentafel und einen  Ticketautomaten. Einen Parkplatz mit 23 Parkplätzen und E-Ladestation wurde hinter dem Bahnübergang Vareler Straße, Einfahrt Georgstraße, errichtet, es folgt noch ein überdachter Fahrradparkplatz. Gegenüber des Bahnüberganges befindet sich die Haltestelle für die Linienbusse.



Kurz vor Ausbruch des 1. Weltkrieges befuhr der erste Zug am 06.06.1914 die Gesamtstrecke der Kleinbahn Vechta – Cloppenburg. Bereits zur Jahrhundertwende reifte die Idee interessierter Bürger eine Querverbindung zwischen den Amtssitzen Vechta und Cloppenburg zu schaffen. Zur Durchsetzung ihrer Ziele wurde von den Amtsvorständen und mehreren Gemeindevorstehern ein Zweckverband gegründet. Bereits am 26.08.1990 stellte das Amt Vechta den Antrag für den Bau einer vollspurigen Bahn an das Großherzogliche Ministerium des Innern. Voraussetzung war allerdings das sich der Staat mit einen Zuschuss von 40% beteiligte. Auf die Genehmigungsurkunde aus Oldenburg wartete man aber bis zum 20.12.1912. Der Betrieb der 28 Km langen Strecke wurde für die Dauer von 99 Jahren genehmigt. Spätestens am 01.10.1914 musste die Bahn in Betrieb gehen, der Landtag bewilligte 271.500 Mark Zuschuss. Träger der Bahn war ein Bahnverband mit Sitz in Vechta, zu dem sich die Amtsverbände Cloppenburg und Vechta sowie einige Gemeinden vereint hatten. Der Betrieb erfolgte in eigener Regie, die Aufsichtsbehörde war die GOE.

Bereits am 08 .Mai 1914 konnte der erste Abschnitt von Vechta bis Schwichteler in Betrieb gehen, im Juni war auch die Reststrecke fertig gestellt. Für den 6.06.1914 waren recht bescheidene Feierlichkeiten angesetzt worden, bestehend aus einen Festmahl in Vechta und einige kostenloser Sonderfahrten. Alle 15 Wagen waren an diesem Tag bis zum Bersten besetzt. Einen Tag später sollte offiziell eröffnet werden, bereits an diesen Tag gab es den ersten Unfall, als zwischen Emstek und Cloppenburg eine Lokomotive entgleiste. Der Verkehr auf der Kleinbahn, besonders der Güterverkehr, entwickelte sich aber überaus zufriedenstellend.

Laut Sommerfahrplan 1927 fuhren im Personenverkehr an Sonn- und Feiertagen auf der Gesamtstrecke 2 Zugpaare, sowie ein täglich morgens zwischen Schwichteler und Vechta und abends von Vechta nach Schwichteler verkehrender Zug. Neben diesem fuhren montags, mittwochs und sonnabends 3 weitere Zugpaare auf der Gesamtstrecke. An den übrigen Werktagen fuhr lediglich ein Personenzug die Gesamtstrecke von Cloppenburg nach Vechta bzw. 2 von Vechta nach Cloppenburg. Die Fahrzeiten betrugen etwa 75 Minuten. Im Jahre 1939 fuhren dienstags, donnerstag und freitags 2 und an den übrigen Tagen 3 Zugpaare. Wegen der häufigen Rangierbewegungen soll die Bahn den Ruf gehabt haben, nicht besonders pünktlich zu sein, so dass eine Verspätung von einer Stunde keine Seltenheit war.

Obwohl die Bahnstrecke im 2.Weltkrieg häufig Ziel von Tieffliegerangriffen war und die LOK "Cloppenburg" dabei beschädigt wurde, konnte notdürftig instandgesetzt der Betrieb bereits 1945 zunächst mit einem Zugpaar wieder aufgenommen werden. Der Personenverkehr blieb - abgesehen von den Kriegs- und Nachkriegsjahren - recht bescheiden. Mit Wirkung vom 01.09.1949 übernahm die DB-Direktion Münster Kleinbahnbetriebsführung Oldenburg die Betriebsführung vom Bahnverband. Ab dem 5. Oktober 1952 beschränkte sich der Personenverkehr auf einen werktäglichen Güterzug mit Personenbeförderung, laut Kursbuch betrug die Fahrzeit des Zuges über 90 Minuten. Ohne wirtschaftliche Not musste die Bahn am 30.11.1965 den Betrieb einstellen, weil die im Bau befindliche Autobahn A1 „Hansalinie“ ihre Schienen kreuzen sollte und eine Überführung zu teuer gewesen wäre. (Quelle: Peter Löffler die Eisenbahn in Oldenburg; Sommerfahrplan 1927, 1939, Taschenfahrplan 1945)

Kleinbahn: Cloppenburg - Emstek - Cappeln - Tenstedt - Schwichteler - Vestrup - Bakum - Daren - Schiedehausen - Vechta; 28 Km Betrieb: 1914 - 1965.

Siehe auch diesen Link

Vergessene Haltepunkte der Bahnlinie Oldenburg – Osnabrück

Heute können sich wohl nur noch wenige an die zwei Bedarfshaltepunkte an der Strecke Oldenburg – Osnabrück erinnern, die nördlich bzw. südlich des Bahnhofs Sandkrug lagen. Hinter dem Verschiebebahnhof Oldenburg befand sich 1915 laut einer Streckenbeschreibung bei km 6,70 die Ladestelle Bümmerstede.

Auf vielseitigen Wunsch genehmigte die Reichsbahn 1932 die Anlegung einer Haltestelle beim Posten 8 in Streek bei Sandkrug. Sie wurde von Landwirten und Sommerhausbesitzern gemeinsam angelegt. Ab 08.08.1932 hielten dort alle Personenzüge die bis Sandkrug durchliefen. Neu eingesetzt wurde von der Bahn morgens kurz nach 7 Uhr ein Pendelzug ab Posten 8 nach Oldenburg, so dass Kinder und Berufstätige pünktlich um 8 Uhr zur Stelle sein konnten. Auch in einer Anzeige des „Waldhaus zum Wunderhorn“ in Streek aus dem Jahre 1938  wird auf diese Haltestelle der Eisenbahn verwiesen. Einem Oldenburger Stadtführer von 1938 entnimmt man, dass die DR im Sommer Mittwochnachmittags Ausflugsfahrten (Kaffeefahrten) zu Ausflugsorten in der Umgebung und an Sonntagen Fahrten ins Blaue durchführte. So verkehrten noch im Fahrplan vom Sommer 1939 an Sonn- und Feiertagen von Oldenburg um 12.16 und 18.12 nach Sandkrug und von Sandkrug um 12.37 und 19.06 nach Oldenburg Personenzüge für Ausflügler, die wohl auch bei Bedarf am Posten 8 hielten. In einer Anzeige aus dem Jahr 1936 zu mindestens weist die Reichsbahn auf einem am Mittwoch den 24.06.1936 verkehrenden Kaffeezug von Oldenburg nach Sandkrug und Huntlosen hin, der auf der Hin- und Rückfahrt bei Posten 8 (Haus Wunderhorn) zum Ein- und Aussteigen hält.

Mit den um ein Drittel ermäßigten Sonntagsrückfahrkarten bot die Reichsbahn der Bevölkerung seinerzeit die Gelegenheiten, die damals noch weitgehend von der Eisenbahn erschlossenen Ausflugsgebiete des Oldenburger Landes von Bremen, Oldenburg und Osnabrück aus günstig zu bereisen. Von Oldenburg nach Cloppenburg zahlte man beispielsweise in der 3. Klasse dann nur 2,30 RM und in der 2. Klasse 3,30 RM und von Bremen nach Bad Zwischenahn fuhr man für 3,20 RM (3.Kl.) oder 4,70 RM (2.Klasse). Von Osnabrück-Hasetor über Ahlhorn nach Oldenburg zahlte man 6 RM (3.Kl.) bzw 8,70 RM (2.Kl.), von Osnabrück HBF nach Cloppenburg kam man für 3,90 RM bzw. 5,60 RM.

Aber zurück zum Haltepunkt Posten 8, im Kursbuch von 1944 gibt es sogar einen besonderen Hinweis, dass morgens und abends bei km 7,8 ein Halt am „Posten 8“ vorgesehen ist. Der Morgens um 7.17 Uhr von Sandkrug nach Oldenburg fahrende Zug hielt um 7.20 Uhr am Posten 8 und am Abend hielt der in Oldenburg um 17.25 Uhr abfahrende Zug nach Großenkneten um 17.49 Uhr am Posten 8. Heute befindet sich in unmittelbarer Nähe des früheren Haltepunktes, der um 1963 noch genutzt wurde, die Autobahnüberführung über die Bahnstrecke.


Im Jahre 1974 war von den ehemaligen Bahnsteig am Haltepunkt Barneführerholz nichts mehr vorhanden (Archiv Stolle)

Aber nicht nur nördlich des Bahnhofs Sandkrug (km 10,62) sondern auch südlich von diesem, gab es eine Bedarfshaltestelle. Bereits im Fahrplan von 1898 fand man den Hinweis das die Züge Nr. 61 und 65 von Oldenburg nach Huntlosen auf Antrag im Barneführerholz zum Aussteigen halten, Fahrkarten aber bis Huntlosen zu lösen seien. Auch in der Streckenbeschreibung von 1915 wird dieser bei km 14,25 im Barneführer Holz angelegte Bahnsteig für den Sommerausflugsverkehr erwähnt.

In der bereits bei Posten 8 erwähnten Anzeige aus dem Jahr 1936 hielt der Kaffeezug am 24.06.1936 zum Aussteigen auch im Barnefüherholz. Im Sommer 1939 hielten dort Sonntags- und Mittwochnachmittags 2 Züge zum Aussteigen. Auch in den Jahren nach 1945 gab es noch diese beiden Bedarfshalte, an die heutzutage nichts mehr erinnert. Bis Mitte 1962 war das Stellwerk Barneführerholz noch von einem Bahnbeamten besetzt, seitdem wurden von hier aus aber keine Weichen mehr gestellt und auch keine Einfahr- und Ausfahrsignale mehr gegeben, dass geschah fortan vom Bahnhof Huntlosen aus. Das verwaiste Stellwerkgebäude verschwand in der Folgezeit, allerdings war es im Jahre 1966 noch vorhanden wie ein Bild (Foto 4) zeigt, das aus Anlass eines Ehemaligen Treffens der Realschule Margarethenstraße in der NWZ 2018 erschien.


Der zweigleisige Ausbau der Strecke Oldenburg – Wilhelmshaven auf den Teilstücken Varel-Jaderberg sowie Hahn-Rastede einschließlich der Ertüchtigung des Untergrundes wurde Ende 2012 abgeschlossen. Am 10.12.2012 wurde die Strecke in Rastede offiziell von Bundesverkehrsminister Ramsauer eröffnet. Ab dem 25. Februar 2013 soll noch der moorige Untergrund zwischen Jaderberg und Hahn verfestigt werden. Eine Elektrifizierung wird es aber erst geben, wenn auch die Strecke innerhalb der Stadt Oldenburg ausgebaut worden ist. Nach 18 Monaten rollen bereits seit dem 09.12.2012 die Personenzüge der Nordwestbahn auch zwischen Rastede und Wilhelmshaven wieder stündlich. Von Oldenburg aus geht es werktags dann wieder mit dem Zug der NWB ab 5.36 Uhr (Sonn- und Feiertags ab 7.36 Uhr) wieder in Richtung Wilhelmshaven. Von Wilhelmshaven in Richtung Osnabrück fahren die Züge an Werktagen wieder ab 4.44 Uhr stündlich bis 21.44 Uhr, der letzte Zug verlässt um 23.13 Uhr den Bahnhof Wilhelmshaven. Sonnabends startet der erste Zug um 5.44 Uhr und sonntags um 6.44 Uhr.

Während des zweigleisigen Ausbaues der Bahnstrecke Oldenburg – Wilhelmshaven war der Abschnitt zwischen Rastede und Wilhelmshaven für die NWB gesperrt und zunächst hatten zwei Buslinien den Personentransport auf dieser Strecke übernommen. Dieser Schienenersatzverkehr der am 01.08.2011 eingerichtet wurde bestand aus einer Buslinie, die zwischen Rastede und Wilhelmshaven verkehrt und alle Bahnstationen entlang dieser Strecke bedient und aus einer Non-Stop-Verbindung zwischen der Stadt Oldenburg und den Bahnhöfen Sande und Wilhelmshaven. Am 22.03.2012 nahm ein zusätzlicher Schnellbus Oldenburg – Varel – Sande - Wilhelmshaven, der ab Oldenburg Anschluss an die Regio-S-Bahn aus Bremen hat, den Betrieb auf. Ab Varel gab es seitdem einen Halbstundentakt, da außerdem weiterhin der Ersatzbus Rastede - Wilhelmshaven, die Stadt Varel anfährt. Siehe dazu auch folgende Artikel der NWZ  Artikel Im Halbstundentakt ; Interview 

Da die Strecke Wilhelmshaven-Sande-Esens in der Zeit weiterhin von Zügen der NordWest-Bahn-Züge befahren wurde, verkehrte um die Mittagszeit ein einziges Zugpaar im Personenverkehr zwischen Osnabrück und Wilhelmshaven, so dass die Züge auch zu Wartungszwecken nach Osnabrück gelangen konnten. Eine Ausnahme bildeten die Zeiten in denen die Strecke auch für den Güterzugverkehr gesperrt werden musste. An den Wochenenden verkehrte zwischen Oldenburg und den Fähranlegern nach Spiekeroog und Langeoog der Bäderbus, der seit 2012 über Esens fuhr. Im März 2023 berichtete die NWZ, das die Buslinie eingestellt wird. Liniennetz der  Nordwestbahn. 

Die Nordwestbahn musste danach versuchen, die verlorenen Nutzer wieder auf die Schiene zurückzuholen, was allerdings dadurch erschwert wurde das es wegen der noch nicht abgeschlossenen Bauarbeiten zu Sperrungen auf der Strecke kommt. Siehe Bericht der NWZ.

Ab 12.12.2022 verkehrten endlich die ersten elektrisch angetriebenen Züge fahrplanmäßig auf der Bahnstrecke Oldenburg - Wilhelmshaven. Allerdings verkehren auch weiterhin noch Dieselbespannte Züge auf der Strecke, wie z.B. die NWB-Züge von Wilhelmshaven nach Osnabrück, da der Südteil der Strecke nicht elektrifiziert ist und ein Lokwechsel in Oldenburg nicht erfolgt.  Mit Fahrplanwechsel am 11.12.2022 wurde die RS 3 Bremen – Oldenburg zwar bis Wilhelmshaven verlängert, aber bis zum 19.12.2024 war in Oldenburg noch ein Umstieg erforderlich, da wegen des Baues eines kreuzungsfreien Bahnüberganges in Oldenburg, Alexanderstraße die Züge dort nur über eine eingleisige Umfahrungsstrecke geleitet wurden und es zu Verspätungen kommen konnte. Erst ab dem 20.12.2024 stehen auch auf diesen letzten Bauabschnitt zwei Gleise zur Verfügung. Dies ist einer der Gründe dafür, das der nach Abschluss der Elektrifizierung ursprünglich ab Dezember 2022 vorgesehene Plan die im Zweistundentakt zwischen Hannover und Norddeich Mole verkehrende Linie RE 1 in Oldenburg zu flügeln und ein Zugteil nach Wilhelmshaven fahren zu lassen verschoben werden musste. Die Linie RE 18 aus Osnabrück hätte dann alle zwei Stunden bereits in Oldenburg geendet. Außerdem kommt es bei der Auslieferung der benötigten Züge weiterhin zu Verzögerungen, so dass diese Änderung nun erst für einen späteren Zeitpunkt möglich ist.

 Weiteres siehe unter Nordwestbahn in Oldenburg


In den neunziger Jahren des letzten Jahrhunderts war im Oldenburger Land vom einst dichtesten Bahnstreckennetz Deutschlands nicht mehr viel übrig geblieben. Und auch um die Strecken Delmenhorst -Hesepe, Esens – Sande und sogar Oldenburg – Osnabrück sah es düsteraus.  Als dann die Nordwestbahn (NWB) am 5. November 2000 mit 16 Triebwagen auf diesen Nahverkehrsstrecken denBetrieb aufnahm, ahnte niemand wie sich das Modell entwickeln würde. Seither haben sich die Fahrgastzahlen verdreifacht, heute unterhält die Nordwestbahn 140 Fahrzeuge und beschäftigt 650 Mitarbeiter. Die Nordwestbahn fährt auf über 1.300 Kilometern Netzlänge mit täglich rund12 000 Fahrgästen von Osnabrück nach Wilhelmshaven bzw. nach Bremen. Mehr als acht Millionen Nordwestbahnfahrer schlagen heute im Vergleich zum Startjahr 2000 (2,8 Millionen) zu Buche. Auch die NWZ berichteten darüber. Seit 12.12.2010 betreibt die NWB auch die Regio S Bahn, die im Oldenburger Land auf den Strecken Bad Zwischenahn - Oldenburg - Bremen und Bremen - Hude - Nordenham verkehrt.
Die RS 4 Nordenham – Bremen hält ab 11.12.2022 auch zwischen Hude und Bremen an allen Haltepunkten, sodass an der Strecke nun ein Halbstundentakt besteht, da die RS3 auch weiterhin an den Stationen halten wird.

Mit Fahrplanwechsel am 11.12.2022 richtete die Nordwestbahn die neue Expresslinie RS30 zwischen Bad Zwischenahn und Bremen HBF, mit Zwischenhalten in Oldenburg-Wechloy, Oldenburg HBF, Hude und Delmenhorst ein. Die RS3 fährt Bad Zwischenahn künftig nur noch in Tagesrandlagen an. Ansonsten endet sie bereits in Oldenburg HBF. Die bisher dieselbetriebene RE19 Bremen-Oldenburg-Wilhelmshaven wird eingestellt, stattdessen werden die Fahrten von Oldenburg nach Wilhelmshaven künftig von der RS 3 übernommen. Zunächst fahren montags bis donnerstags je 5 und freitags je 6 Zugpaare als RS 3 auf der Strecke. Die RS 3 wurde zwar bis Wilhelmshaven verlängert, aber bis auf weiteres ist in Oldenburg noch ein Umstieg erforderlich. Dort gibt es aber einen Direktanschluss an die RS30.


Seit März 2015 werden die defekten Bahnschranken am Übergang Hemmelsbäker Kanalweg in Oldenburg-Drielake bereits von einen Bahnübergangsposten (BÜP) per Hand bedient, nachdem am 11.03.2015 ein Zug bei geöffneten Schranken den Bahnübergang passiert hatte. Da die Anlage, die seit 1969 betrieben wurde, im Jahr 2016 sowieso erneuert werden soll, lohnte sich eine Reparatur nicht mehr, so dass seitdem die Schranke an der Strecke Oldenburg – Bremen per Hand  gesteuert wird. Die Bahn teilte laut NWZ zunächst mit, dass der Übergang bis spätestens Oktober repariert werden soll. Die DB hat für den Mitarbeiter einer privaten Dienstleistungsfirma zwischen dem Schalthäuschen und einem aufgestellten Dixi-Klo eine Plastikplane gespannt, damit er sich vor Regen schützen kann. Die Schranken müssen im Handbetrieb laut den geltenden Vorschrift deutlich früher als bei automatischen Anlagen heruntergelassen werden, was vor allen die Anwohner des Schwanenweges in Rage bringt, da es die einzige Autoverbindung zur Außenwelt ist. Auch das Fernsehen berichte bereits im Mai 2015 in der Satiresendung extra3 über den Fall und vermutete bereits damals, das es wohl noch bis 2016 dauern würde bis eine Reparatur erfolgt. Inzwischen wird die neue Schrankenanlage erstellt, ab Ende Mai sollte die Steuerung per Computer erfolgen. Aber der BÜP war bis Ende August 2016 noch im Einsatz.


Am 15.07.1867 konnte die erste Eisenbahntrasse im ehemaligen Großherzogtum Oldenburg, die von Bremen nach Oldenburg führte, dem öffentlichen Verkehr übergeben werden, kurze Zeit später am 03.09.1867 folgte auch die Eröffnung der Verbindung nach Heppens (Wilhelmshaven). Bis es im Großherzogtum überhaupt zu diesem Anschluss an das deutsche Eisenbahnnetz kam, war aber ein langer Weg zurückzulegen. Vor allem das Königreich Hannover, das Oldenburg damals ganz umschloss, wusste eine Anbindung Oldenburgs lange Zeit immer wieder zu verhindern. Erst 1864 konnte ein Vertrag zwischen Oldenburg, Preußen und Bremen geschlossen werden und die eisenbahn-technische Erschließung Oldenburgs konnte beginnen. Zwar erfolgte der erste Spatenstich in Drielake bereits am 07.06.1864, doch war der Streckenbau mit erheblichen Schwierigkeiten und Hindernissen verbunden, bis am 14.07.1867 die offizielle Probefahrt auf der Strecke Bremen – Oldenburg stattfinden konnte. Nach 15 jährigen Ringen war das Land am Ziel, der größte Widersacher das Königreich Hannover wurde übrigens kurze Zeit später (1866) von Preußen annektiert. Da nun aber Preußen sein Interesse an einer Verbindung von Oldenburg in Richtung Westfalen verlor, verzögerte sich der geplante Bau der Südbahn.

Bis zum Jahre 1876 entstanden die Hauptstrecken und ab 1883 wurde dieses Netz durch zahlreiche Nebenbahnen ergänzt. Außer den Bahnlinien der Großherzoglich Oldenburgischen Eisenbahn (G.O.E.) gab es noch verschiedene private bzw. kommunale Kleinbahnen, deren Betriebsführung in den meisten Fällen bei der G.O.E. lag. Die Oldenburgische Staatsbahn bestand bis zum 04.05.1920, dann wurden alle Länderbahnen in die neugegründete Deutsche Reichsbahn Gesellschaft (DRG) überführt. In den Grenzen der früheren G.O.E. bestand bis zum 31.12.1934 die Reichsbahndirektion Oldenburg. Nach deren Auflösung wurden die Strecken am 01.01.1935 den Direktionen Münster und Hannover zugeordnet. Nachdem die Bundesbahndirektion Münster am 31.12.1974 aufgelöst wurde gehörte das Gebiet der ehemaligen GOE vollständig zur DB-Direktion Hannover. Und auch diesmal schien man in Hannover kein allzu großes Interesse am Oldenburger Eisenbahnnetz zu haben, viele Strecken, Anlagen und Bahnhöfe verkamen und wurden abgerissen. Das die Bahnstrecke von Bremen nach Oldenburg überhaupt zwischen 1977 und 1980 elektrifiziert wurde, lag vor allem am Interesse der Bahn den Güterzugverkehr nach Nordenham mit E-Loks durchzuführen. So bekam Oldenburg auch erst Jahre nach der Elektrifizierung einen Intercityanschluss (1985). Die Strecke von Oldenburg nach Leer wurde im Laufe 1992 elektrifiziert, um den bis dahin erforderlichen zeitaufwendigen Lokwechsel zu sparen, denn auch die Emslandlinie wurde ja schon mit Strom befahren. Die geforderte Elektrifizierung nach Wilhelmshaven war lange Zeit kein Thema für die DB und ist erst wegen des Baues des Tiefwasserhafen nun aktuell im Gespräch. Am Erhalt Oldenburgs als Eisenbahnerstadt hatte die DB-Direktion Hannover wohl auch kein Interesse und so verlor Oldenburg nach und nach seine Dienststellen.

Hier ein interessanter Link zur Geschichte der GOE.  

Eine Auswahl der wichtigsten Strecken im Bereich der ehem. G.O.E. mit den entsprechenden Personenbahnhöfen finden sich nachfolgend auf dieser Seite. Kursiv sind immer die Bahnhöfe gekennzeichnet, die im Oldenburger Wanderbuch von 1951 bereits nicht mehr aufgeführt wurden, die fettgedruckten Stationen sind auch heute noch in Betrieb. Mit * gekennzeichnet sind Stationen, die erst nach 1951 eingerichtet wurden. In Klammern findet man den vorherigen Name der Station. Folgende Strecken führen auch heute noch nach Oldenburg:

Bremen HBFBremen Neustadt – Huchting(en) – HeidkrugDelmenhorstHoykenkampSchierbrokBookholzberg (bis 1937 Gruppenbühren) – HudeWüsting – Neuenwege – Oldenburg (Oldb)  HBF (Die Streckeneröffnung der 44,39 km erfolgte am 15.07.1867, zwischen 1894 - 1907 zweigleisiger Ausbau, 1980 Elektrifizierung).

Oldenburg (Oldb)  HBF  – Oldbg-Ziegelhofstrasse - Bürgerfelde – Ofenerdiek – Neusüdende – Rastede – Hahn – JaderbergVarel –Dangast (Dangastermoor)   – Ellenserdamm – Sande – Mariensiel – Wilhelmshaven West (Bant, Rüstringen) – Wilhelmshaven HBF (Heppens) (Streckeneröffnung am 03.09.1867; Streckenlänge: 52,38 Km, 1898 - 1908 zweigleisiger Ausbau, seit 1949 waren die Abschnitte Rastede – Hahn/O. 4,4 km und Jaderberg  –  Varel 6,4 km wieder eingleisig.

Dazu fand Joachim Behrens in der Osnabrücker "Neuen Tagespost" vom 09.08.1949 einen Artikel aus dem hervorgeht, dass nachdem bereits zuvor das zweite Gleis zwischen Rastede und Hahn abgerissen worden war, am 09.08.1949 auch der Abbau des zweiten Gleises zwischen Varel und Jaderberg begann.  Die Zeitung berichtete, dass es in Wilhelmshaven damals bereits Befürchtungen gab, die Strecke könnte ganz stillgelegt werden. Vor allem, da Anfang August 1949 in der Oldenburger 91er Straße auch die Ausfahrtsignale für Leer und Wilhelmshaven abgebaut wurden, tauchten diese Vermutungen in dem von Demontagen stark gebeutelten Wilhelmshaven auf. Doch die Ausfahrtsignale waren damals auf die Signalbrücke westlich des HBF Oldenburg installiert worden. Der Grund für den teilweisen Abbau des zweiten Gleises der Bahnstrecke Oldenburg - Wilhelmshaven war dem Artikel zufolge, die Tatsache,  das zu der Zeit nicht genug Schienenmaterial mit dem auf der Strecke verwandten starken Profil vorhanden war, dieses wurde damals jedoch dringend für die wichtige Bahnstrecke Bremen – Osnabrück benötigt.

Über 50 Jahren war somit ein Teil der Strecke nur eingleisig befahrbar, erst mit dem Bau des Jade Weser Port in Wilhelmshaven wurde dieser Zustand beseitigt. Der zweigleisige Ausbau dieser Teilstücke begann im August 2011 und wurde im Dezember 2012 vollendet. Eine Elektrifizierung der Gesamtstrecke ist wegen des JadeWeser Ports zwar geplant, aber noch nicht sicher.

Anfangs verkehrten täglich zwischen Bremen und Oldenburg in Personenverkehr nur 3 Zugpaare und nach Heppens zwei Zugpaare. Bis 1903 war der Personenzugverkehr von Bremen nach Oldenburg auf 10 und nach Wilhelmshaven auf 7 Zugpaare angewachsen. Im Jahre 1930 verkehrten von Oldenburg in Richtung Hude/Bremen täglich 14 und in Richtung Wilhelmshaven 9 Personenzüge

In den 30er Jahren wurde ein besonderer Vorortverkehr zwischen Oldenburg und Rastede eingerichtet, noch im Sommer 1939 befuhren werktags 6 und sonntags 2 Zugpaare dieses Nahverkehrs, Zwischenhalte gab es an den Haltepunkten Ziegelhofstraße, Bürgerfelde, Ofenerdiek und Neusüdende. (Quelle: Lührs gelbe Reise- u. Städteführer Band 15/1939; DR-Kursbuch Sommer 1939)

Im Jahre 1944 fuhren 16 Personenzüge von Oldenburg in Richtung Bremen und kamen 18 aus Bremen an. Ab Oldenburg fuhren 15 Personenzüge nach Wilhelmshaven und einer nach Rastede, 14 Personenzüge kamen aus Wilhelmshaven und einer aus Rastede in Oldenburg an. Im November 1969 gab es im Personenverkehr 28 Fahrten in Richtung Bremen und 19 in Richtung Wilhelmshaven. Im Jahre 2010 befuhren an Werktagen bis zu 43 Personenzüge die Strecke von Oldenburg in Richtung Hude/Bremen und 21 Personenzüge der Nordwestbahn (NWB) die Strecke Oldenburg - Wilhelmshaven. Seit 12.12.2010 übernahm die NWB den Personennahverkehr (Regio S Bahn) auf der Strecke Bremen - Oldenburg - Bad Zwischenahn, die DB betreibt auf der Strecke Bremen - Oldenburg - Leer weiterhin die ICE, IC und RB-Verbindungen. Am 14.06.2015 wurde die Station Oldenburg-Wechloy (Regio S Bahn) eröffnet.

Oldenburg HBF – Oldbg-Ziegelhofstrasse - Oldenburg-Wechloy (seit 2015, um 1911 gab es zeitweise einen Haltepunkt Wechloy) - Bloh – Kayhauserfeld (um 1888 Petersfehn) – Bad ZwischenahnOcholt –Apen – Augustfehn – Stickhausen-Velde – Filsum – Nortmoor - Leer  (Streckeneröffnung am 15.06.1869; 55,01 Km) 

Leer – Ihrhove – Hilkenborg – Weener – Möhlenwarf – Bunde – Nieuweschans/NL. (Streckeneröffnung am 26.11.1876; 26,00 Km)

Auch auf dieser Strecke verkehrten zunächst drei Zugpaare, aber bereits um 1875 sollte noch ein  weiterer Zug (Spätzug Richtung Oldenburg) eingerichtet werden. Im Sommer 1903 liefen im Personenverkehr 6 Zugpaare zwischen Oldenburg und Neuschanz, um 22.10 Uhr fuhr ein Zug nach Leer und um 14.03 kann ein Zug aus Norddeich in Oldenburg an. Im Jahre 1930 verkehrten auf der Strecke 10 Personenzüge, einer fuhr ab Ocholt weiter in Richtung Westerstede, die anderen 9 nach Leer, während einer davon weiter nach Emden fuhr, dampften 7 weiter nach Neuschanz (1 sogar bis Amsterdam). Im Sommer 1944 gab es auf der Strecke 11 Personenzüge 1 ab Ocholt in Richtung Friesoythe,  5 nach Neuschanz (1 weiter nach Rosendahl) und je einer nach Emden und Norden, die restlichen 3 endeten in Leer. 1969 fuhren alle 17 Züge nach Leer, davon 5 weiter nach Emden, 2 nach Norddeich und nur noch 3 nach Nieuweschans (davon 2 bis nach Groningen). Heute befahren an Werktagen 18 (12 bis Norddeich 6 bis Emden) Personenzüge, die seit 1992 elektrifizierte Strecke von Oldenburg in Richtung Leer.

Seit 2006 betrieb die Privatbahn Arriva die Strecke von Leer nach Groningen. Zunächst im 2-Stundentakt, aber inzwischen wird die Stecke Leer – Groningen sogar stündlich befahren. Seit Juni 2015 konnte man sogar mit dem Niedersachsenticket, gegen einen geringen Aufpreis, auf dieser Strecke den Zug benutzen. Seit Dezember 2015 ist die Strecke nach der Zerstörung der Friesenbrücke unterbrochen. Ersatzbusse werden vorerst zwischen Leer und Winschoten bzw. Groningen eingesetzt. Von den Niederlanden aus, kann zur Zeit nur bis zur Station Weener gefahren werden.

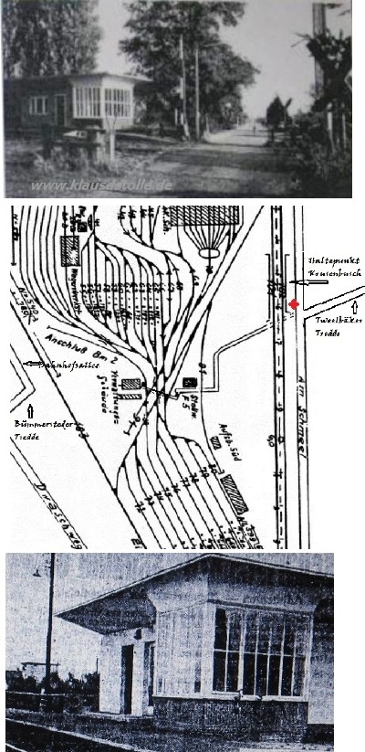
Oldenburg (Oldb)  HBF – Osternburg – Krusenbusch* –  Posten 8 – SandkrugBarneführerholzHuntlosenGroßenknetenAhlhorn – Höltingshausen – Cloppenburg – Nutteln – Hemmelte – Essen (Oldb) – Brokstreek – Quakenbrück – Badbergen – Langen – Bersenbrück – Alfhausen – HesepeBramscheAchmerHalen - Osnabrück-Eversburg Osnabrück Altstadt (bis 2009 Osnabrück-Hasetor)Osnabrück HBF (Streckeneröffnung von Oldenburg bis Quakenbrück am. 15.10.1875 (62,72 Km) und bis Osnabrück am 15.11.1876 (50,40 Km).

Der Bahnhof Huntlosen feierte 1986 Jubiläum,auch Herzog Anton Günther von Oldenburg der Enkel des letzten Großherzog nahm daran teil.


Im Jahre 2011 hat sich auch in Huntlosen einiges verändert. Das Bahnhofsgebäude ist heute eine Gaststätte. Fotos:©Stolle

Im Jahre 1903 verkehrten 4 Personenzüge von Oldenburg nach Osnabrück und zurück, ein Zug kam aus Quarkenbrück in Oldenburg an. 1930 fuhren auf dieser Strecke täglich  6 Personenzüge von Oldenburg nach Osnabrück, an 3 Tagen gab es einen zusätzlichen Zug nach Cloppenburg. 5 Personenzüge trafen aus Osnabrück und einer aus Quakenbrück in Oldenburg ein. Im Sommer 1939 fuhren werktags 8 Personenzugpaare täglich auf der Gesamtstrecke, ein Zugpaar nur auf den Abschnitt Oldenburg - Huntlosen, 1 Zug kam aus Quarkenbrück. Sonntag und Mittwoch hielten 2 Züge nachmittags zum Aussteigen im Barneführerholz, an den gleichen Tagen fuhr um 5.30 früh ein Zug nach Cloppenburg. Sonntags verkehrten 2 zusätzliche Zugpaare auf dem Abschnitt Oldenburg - Sandkrug. Im Jahr 1944 fuhren von den 10 Personenzügen ab Oldenburg 5 bis Osnabrück, je 1er endete in Ahlhorn, Cloppenburg und Quakenbrück, 2 bereits in Sandkrug. In Oldenburg trafen ein: 5 Züge aus Osnabrück, je einer aus Quakenbrück und Ahlhorn und 2 aus Sandkrug. Um 7.20 hielt ein Zug aus Sandkrug und um 17.49 Uhr einer in Richtung Ahlhorn am Posten 8. Im Jahre 1969 verkehrten von Oldenburg aus täglich 1 Zug bis Sandkrug, 4 bis Ahlhorn, 2 bis Cloppenburg, 2 bis Quakenbrück, 1 bis Bramsche und 7 bis Osnabrück (davon fuhren 3 weiter ins Ruhrgebiet und 1 nach Bielefeld). Bis zum 31.05.1969 fuhr ein Zugpaar werktäglich noch die Strecke Oldenburg - Quarkenbrück - Fürstenau - Rheine- Duisburg, ab 01.06.1969 über Osnabrück nach Duisburg. Speziell für Bundeswehrangehörige war der in den 80ern Freitagnachmittags von Wilhelmshaven über Oldenburg und Osnabrück nach Mönchengladbach verkehrende Schnellzug gedacht , der in der Nacht von Sonntag auf Montag von dort wieder nach WHV zurückfuhr. Zwischen Oldenburg und Osnabrück hielt er nur in Ahlhorn. Heutzutage verkehren 21 Züge der NWB zwischen Oldenburg und Osnabrück.


Am 01.04.1945 war in Oldenburg der Personenzugverkehr eingestellt worden, wie dem Kriegstagebuch des Oldenburger Mittelschullehrers Rudolf Tjaden (erschienen im Isensee-Verlag 2010) zu entnehmen ist. "Grund dafür wäre, das ein gewaltiger Kohlenmangel herrsche und die Bahnstrecken überall zerbombt seien". Spätestens mit der Sprengung der Brücken über Hunte und Küstenkanal Ende April 1945 war dann der gesamte Zugverkehr vom Hauptbahnhof in Richtung Osnabrück und Bremen unmöglich geworden.

Gleich nach Kriegsende begann die Instandsetzung der wichtigsten Eisenbahnstrecken, vor allen wegen der erforderlichen Materialtransporte die der Bahn einen gewissen Vorrang vor anderen Verkehrsmitteln einräumte. Der Personenverkehr spielte dabei noch keine große Rolle, denn erst ab 08.06.1945 durften Zivilisten auch ohne Genehmigung der britischen Militärregierung von ihren Wohnsitz aus, wieder bis zu 30 km reisen, ab 26.06.1945 wurde dieser Radius auf 100 Km ausgedehnt. Hinzu kam das zwischen 22.45 Uhr bis 5.00 Uhr noch ein Ausgehverbot bestand. Auch nach Aufnahme des Personenzugverkehrs galten für die Benutzung der Züge die besonderen Anordnungen der Militärregierung und der Reichsbahn. Jeder Reisende war für die Einhaltung der Sperrfrist selbst verantwortlich. Selbst Zugverspätungen berechtigten nicht zur Überschreitung der Sperrfrist. In den Fahrplänen wurde darauf hingewiesen, dass jeder Zeit mit plötzlichen Fahrplanänderungen gerechnet werden muss.

Die Oldenburger Eisenbahnbrücke über die Hunte, die Ende April 1945 durch die Wehrmacht gesprengt worden war, konnte bis Ende August 1945 wieder provisorisch hergestellt werden, so dass ein direkter Zugverkehr vom Oldenburger Hauptbahnhof nach Osnabrück wieder möglich war. Zuvor war Oldenburg wie eine Insel von dem Verkehrsnetz abgenabelt gewesen und der Zugverkehr aus Richtung Osnabrück und Huchting endete bereits am Bahnhof Oldenburg-Osternburg.

Bereits in der Ausgabe vom 07.08.1945 hatten die Nordwest-Nachrichten davon berichtet, dass am Sonnabend dem 04.08.1945 die durch Sprengung zerstörte Eisenbahnbrücke wieder gehoben worden sei. Am 24.08.1945 konnte man lesen, dass die Brückenteile inzwischen ihre alte Richtung bekommen haben, allerdings fehle noch das andere Ende, um den wichtigen Eisenbahnverkehr herüberzuleiten. In mühevoller Kleinarbeit gehen die Arbeiten aber ihrem Ende zu, so dass bereits in den nächsten Tagen hier die ersten Züge fahren können, um wichtige Lebensgüter zu befördern. Am 31.08.1945 vermeldete die Zeitung dann vom ersten Personenzug der am Vortag über die Hunte herübergerollt sei.

Am 30.08.1945 verkehrten laut Angaben der Nordwest-Nachrichten von und ab Oldenburg HBF aber bereits wieder 7 Zugpaare, teilweise als kombinierte Personen-/Güterzüge. Nur einer davon verkehrte täglich (Richtung Osnabrück), die anderen Züge fuhren nur werktags, und der Zug von und nach Edewechterdamm verkehrte nur Mo/Mi/Sa.

Da für die am 24. März 1945 zerstörte Weserbrücke der Eisenbahnlinie Bremen-Oldenburg erst am 9. Dezember 1946 eine eingleisige Notbrücke fertig gestellt wurde, war der Bremer Hauptbahnhof zunächst von Oldenburg aus nicht erreichbar. Bei Kriegsende 1945 wurden außerdem zwei Eisenbahnbrücken in Hude von deutschen Truppen gesprengt, daher war die Strecke von Oldenburg in Richtung Bremen erst wieder befahrbar, nachdem im Sommer 1945 die beiden Straßenunterführungen zugeschüttet wurden und auf dem Damm neue Schienen verlegt waren. Erst 1949 sollte diese „Teilung“ Hudes wieder beseitigt werden, nachdem man für die Straßen Vielstedt - Hude und Oldenburg/Bremen nach Hude/Berne neue Straßenunterführungen schaffte.

Am 11.08.1945 konnte der Eisenbahnverkehr auf der Strecke zwischen Oldenburg-Osternburg und Delmenhorst wiedereröffnet werden. Der Streckenabschnitt Delmenhorst - Huchting wurde bereits vorher von einem Dienstzug befahren, seit dem 19.07.1945 konnten auch Delmenhorster, die in Bremen ihre Arbeitsstelle hatten diesen benutzen, wenn sie über eine entsprechende Bescheinigung verfügten. Laut der Stadtchronik von Werner Garbas „1945 – 1975 Drei Jahrzehnte in Delmenhorst" waren die Züge jetzt ohne Einschränkung für den Personenverkehr freigegeben. Ab 30.08.1945 konnte man dann auch wieder von Oldenburg HBF aus in Richtung Delmenhorst starten. Zunächst endete der Zugverkehr in Huchting, laut Fahrplan der RBD Hannover vom 12.09.1945 fuhr um 7.15 und 17.35 von Huchting aus ein Personenzug nach Oldenburg, die Gegenzüge aus Oldenburg trafen um 11.47 und 21.47 in Huchting ein. Erst nach Wiederherstellung der Brücke über die Ochtum (Oktober 1945) fuhren die Züge bis Bremen-Neustadt.

Da die eingleisige Kleinbahn Edewecht-Zwischenahn vollspurig ausgebaut war und einen direkten Anschluss in Bad Zwischenahn an die Bahnstrecke nach Oldenburg hatte bot sich an, dass so zu mindestens dieser Teil bereits wieder genutzt werden konnte. Während die Strecke von Oldenburg nach Leer zunächst nur bis Bad Zwischenahn betriebsfähig war, blieb die Strecke Wilhelmshaven - Oldenburg von wesentlichen Zerstörungen verschont, aber erst nach Fertigstellung der Oldenburger Eisenbahnbrücke konnten auch die Züge aus Wilhelmshaven wieder bis ins Rheinland fahren. Im Fahrplan der RBD Hannover vom 12.09.1945 ist auf der Strecke Hamburg – Wanne-Eickel bereits ein Zugpaar, das von Wilhelmshaven über Osnabrück und Münster nach Köln-Deutz und zurück verkehrte aufgeführt. Aus diesem Fahrplan geht auch hervor, dass es in der Wesermarsch neben der Budjadinger Bahn auf der täglich 2 Zugpaare zwischen Nordenham und Eckwarderhörne verkehrten, auch zwischen Blexen und Brake bereits wieder einen Zugverkehr gab. Es fuhren dort 4 bei besonderer Anordnung sogar 5 Zugpaare, während der Verkehr auf dem Abschnitt Brake - Hude noch ruhte. Erst im Spätherbst 1945 errichteten US-Pioniere bei Elsfleth eine Behelfsbrücke über die Hunte, als Ersatz für die zerstörte Eisenbahnbrücke.

Anfang September 1945 war aber bereits die zerstörte Eisenbahnbrücke bei Großenmeer wiederhergestellt, so dass nun der Zugverkehr zwischen Oldenburg und Brake wieder möglich war. Außerdem konnte im Spätsommer 1945 auf der Strecke Ocholt - Ellenserdamm, die gegen Ende des zweiten Weltkrieges wiederholt von Tieffliegern unter Beschuss genommen wurde, der Betrieb wieder aufgenommen werden.

In einem NWZ-Artikel vom 03.08.2009 über kuriose Jugenderinnerungen des Augustfehner Franz Resch heißt es: „Als Resch im September 1945 nach Ocholt zurückkehrte, fuhr täglich nur noch ein Zug von Ocholt über Westerstede – Bockhorn – Varel nach Oldenburg und zurück“. Laut dem Buch "Oldenburg 1945" von Fritz Koch wurde nach achtmonatiger Unterbrechung die gesamte Eisenbahnverbindung Oldenburg - Leer wieder hergestellt, wie die Nordwest-Nachrichten am 08.11.1945 vermeldet haben soll. Diese Meldung dürfte sich jedoch wohl eher auf den Streckenabschnitt Bad Zwischenahn – Ocholt bezogen haben, denn laut Fahrplan vom 11.12.1945 gab es noch keinen Personenzugverkehr auf den Abschnitt Ocholt - Leer. Ab Oldenburg fuhr danach um 4.55 Uhr ein Zug über Bad Zwischenahn (5.52) –Ocholt (6.12) nach Westerstede (6.28). Von Westerstede ging es um 6.45 Uhr über Ocholt (7.08) und Bad Zwischenahn (7.21) nach Oldenburg (7.47) zurück. Nachmittags fuhr ein weiterer Zug um 17.32 Uhr von Oldenburg nach Westerstede (18.29) und von dort um 19.00 Uhr zurück nach Oldenburg, wo er um 20.48 Uhr eintraf. Am 07.12.1945 wurde die Bahnpostverbindung Oldenburg – Westerstede aufgenommen und erst ab 15.01.1946 wurde diese nach Leer ausgeweitet. Die Beseitigungen der Zerstörungen hinter Ocholt waren besonders schwierig, so dass erst im Januar 1946 die Verbindung Oldenburg – Leer wieder aufgenommen wurde. Immerhin im Februar 1946 verkehrte werktäglich morgens und abends je ein Zugpaar auf der Gesamtstrecke, während die Züge aus Leer nur knapp 2 Stunden für die Strecke benötigten, lag die Fahrzeit von Oldenburg aus nach Leer bei fast 3 Stunden. Dies lag daran, dass die Züge aus Oldenburg erst nach über einer Stunde von Ocholt aus nach Leer weiterfuhren. In der Zwischenzeit wurde der Abschnitt nach Westerstede bedient, Hin und Rückfahrt waren mit je 14 Minuten eingeplant und in Westerstede gab es einen 11 minütigen Aufenthalt. In Ocholt ging es dann nach Eintreffen des Gegenzuges weiter in Richtung Leer. Der Gegenzug aus Leer fuhr nach 13 bzw. 5 Minuten Aufenthalt in Ocholt weiter in Richtung Oldenburg.

Am 06.08.1945 war bereits der Eisenbahnbetrieb auf der Strecke Delmenhorst - Harpstedt wieder aufgenommen worden. Ein Zug fuhr morgens um 5.27 Uhr ab Harpstedt und erreichte Delmenhorst um 6.25 Uhr um 7.46 Uhr ging es von Delmenhorst zurück nach Harpstedt (an 8.44 Uhr). Der Zug am Nachmittag startete um 15.47 Uhr in Harpstedt und traf um 16.45 Uhr in Delmenhorst ein, von wo es um 18.10 Uhr wieder zurück nach Harpstedt ging, Ankunft 19.08 Uhr (Stand 12.09.1945). Im gleichen Monat konnte auch der Eisenbahnverkehr auf der Strecke zwischen Huchting und Kirchweyhe wiedereröffnet werden.

Im Dezember 1945 waren es bereits drei Personenzüge (5.10 [Feb.1946:5.08], 10.50, 17.30 Uhr), die an Werktagen nach Bremen-Neustadt fuhren, die beiden letzteren kamen aus Wilhelmshaven. Die Gegenzüge trafen um 8.34, 14.44, und 20.59 [Feb.1946: 20.42] Uhr in Oldenburg ein, letzterer fuhr nicht nach WHV weiter. Dafür gab es von Oldenburg noch eine Verbindung um 5.10 Uhr nach WHV, während der um 20.59 Uhr aus WHV ankommende Zug in Oldenburg endete.

Im Dezember 1945 traf um 13.20 Uhr noch ein Zug aus Jever in Oldenburg ein. Die Fahrzeit OL – WHV betrug damals ca. 2 Stunden, Oldenburg bis Br.-Neustadt ca. 1,5 Std. Im Dezember 1945 verkehrten an Werktagen außerdem zwei Zugpaare auf der Strecke Oldenburg - Brake und drei Zugpaare auf der Strecke Oldenburg -Osnabrück, die Fahrzeit betrug ca. 4 Std. Im Bereich der RBD Münster fuhr laut dem Fahrplan sonntags kein Personenzug, aber der um 15.10 von Oldenburg nach Osnabrück fahrende Zug war nicht mit einem "w" versehen. Auch im ab 10.02.1946 geltenden Fahrplan ist dieser täglich um 15.10 Uhr von Oldenburg in Richtung Osnabrück fahrende Zug verzeichnet, dessen Fahrzeit aber mehr als 6 Stunden dauerte. Bereits im Dezember 1945 wurde geplant ab Frühjahr 1946 zwei Eilzugverbindungen auf der Strecke Wilhelmshaven – Oldenburg - Osnabrück in Richtung Köln bzw. Hannover einzurichten.

Im Dezember 1945 gab es auf den meisten Nebenstrecken wieder Zugverkehr, während zwischen Varel und Neuenburg bereits werktäglich 2 Zugpaare (Varel - Bockhorn 3 ) fuhren, war es zwischen Varel und Rodenkirchen nur ein Zugpaar an Werktagen. Auch auf den Strecken Vechta - Cloppenburg, Vechta – Ahlhorn, Vechta – Wildeshausen und Vechta - Neuenkirchen verkehrte im Dezember 1945 nur je ein Zugpaar. Kein Zugverkehr gab es noch zwischen Delmenhorst und Wildeshausen, da auch die Eisenbahnbrücke bei Wildeshausen in den letzten Kriegstagen gesprengt wurde um den Vormarsch der alliierten Truppen zu stoppen. Erst im August 1946 konnte die neue Brücke dem Eisenbahnverkehr übergeben werden.

Während der Streckenabschnitt Cloppenburg bis Friesoythe trotz Zementmangel (Quelle: Oldenburg um 1950, Isensee-Verlag 2000) noch im Spätherbst 1945 wieder befahrbar war, blieb die Reststrecke nach Ocholt noch lange teilweise gesperrt, erst 1949 konnte die Sedelsberger Brücke dem Verkehr übergeben werden.

Wegen der Beseitigung der Kriegsschäden, des Kohlenmangels und Personaleinsparungen dauerte es im Oldenburger Land aber noch bis 1950 um die Zugleistung von 1936 wieder zu erreichen.

Noch länger dauerte es bei der Strecke nach Neuschanz, diese konnte zunächst nur bis zum Haltepunkt Hilkenborg befahren werden, da die Eisenbahnbrücke über die Ems erst 1951 wiederaufgebaut war. Ein Inhaltsverzeichnis eines Taschenfahrplanes aus 1947 weist übrigens eine Strecke Oldenburg – Leer – Hilkenborg aus.


In Laufe der Zeit gab es eigentlich vier verschiedene Bahnhofsgebäude für die Hauptstation in Oldenburg, denn als 1867 die Eisenbahnlinie Bremen – Oldenburg – Heppens eröffnet wurde, war das erste Bahnabfertigunggebäude noch ein Provisorium, nur ein umfunktionierter ehemaliger Güterschuppen. Der Standort des Bahnhofs war ursprünglich westlich des Zentrums etwa in der Gegend des heutigen Cäcilienplatz geplant gewesen, letztendlich entschied man sich jedoch für den noch heute genutzten Standort.

Centralbahnhof Oldenburg

Blick auf den Centralbahnhof  Oldenburg, unteres Foto Prov. Bahnhof 1911 - 1915. (Slg. Stolle)

Erst am 21.Mai 1879 konnte das vom Architekten Conrad Wilhelm Hase entworfene Gebäude des Oldenburger Centralbahnhofs in Betrieb genommen werden. Das backstein-gotische Gebäude erwies sich jedoch als Fehlplanung und wurde bereits 1912 wieder abgerissen. Bis zur Fertigstellung des neuen Bahnhofs gab es dann ein behelfsmäßiges Empfangsgebäude, das somit das dritte Bahnhofsgebäude war.

Hauptbahnhof Oldenburg

Trotz des Ausbruchs des 1. Weltkrieges konnte der nach Plänen des Architekten Mettegang seit 1911 in Bau befindliche Jugendstil-Bahnhof 1915 fertiggestellt werden und ging in der Nacht zum 03.08.1915 ohne offizielle Feierlichkeiten in Betrieb.

Der Oldenburger Hauptbahnhof Ende der 60er Jahre.                              ©Alfred Stolle  

Die Bahnsteighallen im Mai 2009, mit Entlüftungsrohre für die Straßenunterführung. ©2009 Klaus-D.Stolle 

Der Bahnhof besaß übrigens auch einen separaten Fürstenbahnhof für die großherzogliche Familie. Die Gleise waren nun durchgängig befahrbar, so dass das bisherige notwendige Umsteigen für Weiterfahrten über Oldenburg hinaus entfiel, man hatte auch den Gleiskörper um 3,25 m höher gelegt, die Bahnsteighalle wird seitdem von drei Rundbögen überdacht. Am 21. April 1945 wurden die Fassade des Bahnhofsgebäudes und die Bahnsteighalle während eines Bombenangriffs stark beschädigt, der Personenzugverkehr war aber in Oldenburg bereits am  01.04.1945 eingestellt worden. Die Kriegsschäden am Hauptbahnhof waren noch lange sichtbar, da erst Ende der fünfziger Jahre die Wiederinstandsetzung erfolgte.

Oldenburger HBF 1988 -Sonderzug der VLV nach Harle ©1988 K-D.Stolle

Die Dampfloks wurden bis Mitte der 60er im BW Oldenburg durch Dieselmaschinen ersetzt und waren danach nur noch selten im HBF zu sehen. Aber erst am 26.09.1980 fuhr der erste Planzug mit einer Elektrolok im Oldenburger Hauptbahnhof ein. Infolge der Elektrifizierung musste 1979 auch die alte eiserne Eisenbahnbrücke, die Fußwegverbindung zwischen Bahnhofsplatz und Karlstraße aus dem Jahr 1914 weichen. Als Ersatz wurde bis zum 01.Mai 1980 eine Betonbrücke erstellt über die man auch auf die Bahnsteige gelangen konnte. Die neue Elisabethbrücke wurde am 11. Dezember 2000 auf Dauer geschlossen und im Jahre 2006 abgerissen.

Nordeingang des Hauptbahnhofs in Oldenburg oben vom Willy-Brand-Platz und unten aus dem ZOB aufgenommen.              ©2009 Klaus-D.Stolle

Denn seit 2000 besitzt der HBF auch einen Nordausgang, der aber in 08/15 Bauweise entstand, auf dieser Seite, die vorher als Bahnbetriebsgelände und vom Eisenbahnausbesserungswerk genutzt wurde, liegt heute der Zentrale Omnibusbahnhof. Das gesamte Bahnhofsgebäude sowie die Bahnsteiganlagen wurden bis 2005 saniert. Alle Bahnsteige wurden mit Fahrstühlen ausgestattet, elektronischen Fahrtanzeigern wurden installiert und die Bahnsteige mit einer Blinden-Pflasterung ausgestattet. Heute wird der Bahnhof von einer Dienststelle in Osnabrück aus geleitet. Bis zur Eröffnung des HP Wechloy im Jahr 2015 war der Hauptbahnhof zeitweise die einzige Bahnstation innerhalb der Stadt Oldenburg, aber vorher gab es in der Stadt noch weitere Haltepunkte.

Ehemalige Bahnhöfe in der Stadt Oldenburg und Umzu

Heute erinnern nur noch die Namen der VWG-Haltestellen „Bahnhof Osternburg“, „Bahnhof Ofenerdiek“ oder „Bahnhof Krusenbusch“ an die Tatsache, dass es neben dem Oldenburger Hauptbahnhof bis vor 30 Jahren noch weitere Eisenbahnhaltepunkte in der Stadt Oldenburg gab. Man dachte in den siebziger Jahren des vorigen Jahrhunderts sogar daran die Haltepunkte für eine Art Stadtbahn zu nutzen. Allerdings wurden nach und nach die noch vorhandenen Haltepunkte aufgegeben und die bereits vorher stillgelegten Strecken und Bahnhofsgebäude abgerissen. Aber welche Stationen gab es auf dem heutigen Gebiet der Stadt Oldenburg und der ehemaligen Landgemeinde Oldenburg (später Eversten und Ohmstede).

Haltepunkt Oldenburg Ziegelhofstraße

Der vor allen dem Ausflugverkehr im Sommer dienende Haltepunkt Ziegelhof-straße, lag etwa in Höhe der heutigen Unterführung der Peterstraße. Er war mit einer Fußgängerbrücke versehenen, die auch den Zugang zu den zwischen den Schienen liegenden Bahnsteig ermöglichte. Die um 1900 entstandene Brücke wurde ab 1907 um einen zusätzlichen Brückenbogen erweitert, da ein drittes Gleis infolge des zweigleisigen Ausbaues der Strecke nach Wilhelmshaven (1908) am Pferdemarkt in Betrieb genommen wurde. Das Bahngebäude war gleichzeitig Haltestelle, Schrankenwärterhaus und Fahrkartenausgabepunkt. Nach der Einrichtung im April 1889 hielten hier neben Sonderzügen zunächst nur in den Sommermonaten Personenzüge. Ab 1896 hielten auch im Winter Züge an diesem Haltepunkt, der vor allen von Fahrgästen aus dem Stadtwesten genutzt wurde um nach Bloh, Bad Zwischenahn oder Rastede zu gelangen. Die NWZ berichtete am 13.06.2020, dass im ersten Jahr nach der Eröffnung 1.296 Personen den Haltepunkt nutzten, 1895 wurden schon 12.781 Fahrkarten verkauft und im Jahr 1912 waren es 6.789 Ausflugskarten und 457 andere Fahrkarten. Außerdem wird in dem Artikel erwähnt, das der Bahnhalt aufgehoben wurde, da sich der Betrieb nicht mehr lohnte. Die Nachrichten für Stadt und Land meldeten am 29.09.1923, dass ab 01.10.1923 die Haltestellen Ziegelhofstraße und Wechloy aufgehoben werden.
Am Sonntag den 19.05.1929 wurde der Bahnhof Ziegelhofstraße wieder für zwei Züge freigegeben. Es hielt dort der Zug der um 14.30 Uhr nach Bad Zwischenahn fuhr und der um 8.00 Uhr Rastede verließ. Man hoffte darauf das die Haltestelle nun auch benutzt würde, damit die Einrichtung Sonntags zu einer dauernden würde. Im Winterhalbjahr 1934/35 hielt z.B. laut Fahrplan der sonntags um 16.20 Uhr ab Oldenburg HBF nach Bad Zwischenahn verkehrende Personenzug (P249) zum Einsteigen an der Ziegelhofstraße. Im Sommer 1939 hielt an dieser Station in jeder Richtung jeweils ein Zug auf dieser Strecke. Auf der Strecke Oldenburg - Wilhelmshaven dagegen hielten im Sommer 1939 7 Zugpaare (werkt. 5) am Haltepunkt Ziegelhofstraße. In Fahrtrichtung Oldenburg war nur ein Ausstieg und in Fahrtrichtung WHV nur ein Zustieg erlaubt. 6 der Zugpaare befuhren nur den Streckenabschnitt Oldenburg - Rastede, denn zwischen Oldenburg-HBF und Rastede bestand in den 30er Jahren ein besonderer Vorortverkehr der Bahn mit den Haltepunkten Ziegelhofstraße, Bürgerfeld, Ofenerdiek, Neusüdende. Ein weiterer Zug fuhr von Oldenburg nach Varel und zurück und hielt ebenfalls an der Ziegelhofstraße.

Der genaue Zeitpunkt der Aufgabe dieser Station ist mir nicht bekannt, die Gebäude und das Brückenbauwerk, die kurz vor der Teilung der Bahnstrecken in Richtung Wilhelmshaven und Leer lagen, wurden aber erst im Rahmen der Bahnhochlegung abgerissen.

Bauarbeiten an der Eisenbahnbrücke im Bereich des ehemaligen Haltepunkts Ziegelhofstraße von der Peterstraße aus gesehen Foto:©A.Stolle

Blick vom Pferdemarkt aus auf den ehemaligen Standort des Haltepunkts Ziegelhofstraße. ©2009klausdstolle

Mit der Höherlegung der Eisenbahngleise am Pferdemarkt wurde am 1963 mit einer feierlichen Grundsteinlegung begonnen, zunächst musste aber erst der Zugverkehr auf Umfahrungsgleise verlegt werden. Diese wurden am 27.09.1964 in Betrieb genommen, als erster planmäßiger Zug rollte um 6.00 Uhr der Schnellzug D375 Basel – Wilhelmshaven über das Ausweichgleis. Nun konnte mit dem Bau der Eisenbahnbrücke begonnen werden. Sie überspannt mit einer Gesamtlänge von rund 308 Metern auf 14 Pfeilerreihen bei einer Gesamtbreite von 12 Metern die vier ehemaligen Bahnübergänge von der Raiffeisenstraße bis zur Peterstraße. Nach Fertigstellung der Eisenbahnbrücke wurden zunächst der Schienenstrang an der Innenstadtseite verlegt, so das die auf der Strecke Oldenburg – Leer verkehrenden Züge bereits über die Brücke geleitet wurden, während die Züge auf der Strecke Oldenburg – Wilhelmshaven zunächst noch ebenerdig verkehrten. Als 1. Zug fuhr am 26.01.1966 der fahrplanmäßige Güterzug DG7570 bei tiefdunkler Nacht und Temperaturen unter dem Gefrierpunkt auf der Strecke Oldenburg – Leer über das 306 Meter lange Betonbauwerk. Seit Sonntag dem 22.05.1966 rollten auch die Züge der Strecke Oldenburg – Wilhelmshaven über die neue Eisenbahnbrücke, Der letzte Zug der ebenerdig über den Pferdemarkt fuhr war der Triebwagen, der im Rahmen einer Feierstunde am 25.05.1966 mit 250 Ehrengästen vom Hauptbahnhof kommend zunächst über die Ausweichstrecke fuhr und dann über die Eisenbahnbrücke zum Hauptbahnhof zurückrollte. Seit der Fertigstellung 1966 sorgt die Brücke dafür das es hier keine Verkehrsschlangen vor geschlossenen Bahnschranken mehr gibt.


Haltepunkt Wechloy

Seit dem „kleinen Fahrplanwechsel“ am Sonntag dem 14. Juni 2015 hält die Regio-S-Bahn-Linie RS 3 auch am neuen Halt in Oldenburg-Wechloy. 

Bereits seit über fünfzehn Jahren gab es Planungen an der Strecke Oldenburg - Leer, für eine geplante Regio-S-Bahn in Oldenburg-Wechloy, einen Haltepunkt einzurichten. Eigentlich sollte diese Station den Fahrgästen anfangs bereits ab 2011 zur Verfügung stehen. Am 12.12.2010 wurde mit der Regio-S-Bahn Bremen/Niedersachsen   ein neues Kapitel im Schienennahverkehr für die Region aufgeschlagen. Die Nordwest-Bahn lies ihre Züge über die neuen S-Bahnstrecken Nordenham - Bremen und Bremen-Oldenburg-Bad Zwischenahn rollen, aber die Einrichtung des Haltepunktes Wechloy wurde immer noch sehnsüchtig erwartet.

Bereits in der Ausgabe der Nordwest-Zeitung vom 11.06.2010 hieß es, dass man doch länger warten müsse. Da die Planung und der Bau des 2,41 Millionen Euro teuren Haltepunktes Wechloy unmittelbar neben der Straße Bäkeplacken noch längere Zeit in Anspruch nehmen wird, sollten hier dann im Frühjahr 2012 die ersten Fahrgäste aussteigen. Aber auch dieser Termin konnte nicht eingehalten werden. Erst im Frühjahr 2013 war danach laut NWZ vom 15.06.2011  mit den Beginn der Arbeiten am Haltepunkt zu rechnen, so dass die Station im Dezember 2013 in Betrieb gehen könnte. Weitere 950 .000 Euro sind für die Abstellanlagen für Autos und Fahrräder geplant.

Aber erst im Dezember 2013 wurde der Neubau des Haltepunkts dann endlich in das Förderprogramm 2013 des Landes Niedersachsen aufgenommen. Am 18.12.2013 erfolgte der symbolische erste Spatenstich für den S-Bahn-Haltepunkt in Anwesenheit des niedersächsischen Ministers für Wirtschafts, Arbeit und Verkehr Olaf Lies statt. Siehe auch einen Artikel zum Thema. Mit dem Bau des Haltepunktes ging es dann aber erst im Frühjahr 2014 richtig los.

An der Strecke Oldenburg - Leer, entstand im Laufe des Jahres für die S-Bahn an der Unterführung Bäkeplacken in Oldenburg-Wechloy, ein Haltepunkt für Nahverkehrszüge. Der erste Zughalt in Wechloy  sollte zum Fahrplanwechsel 2014/15 erfolgen, laut NWZ sollten die Bauarbeiten zunächst im Herbst 2013 beginnen. 

Noch am 13.08.2014 meldete die NWZ, das der erste Zug der RegioS Bahn am 14.12.2014 am Bahnhof Wechloy halten soll.

Obwohl der 14.12.2014 als Eröffnungstermin des Haltepunkts Oldenburg-Wechloy seit längeren genannt wurde und auch bereits im Auskunftssystem auftauchte, scheiterte dies wieder einmal an der Deutschen Bahn. Da man dort scheinbar nicht in der Lage war Arbeiten an der Leit- und Sicherungstechnik abzuschließen klaffte lange noch mitten im neuen Bahnsteig eine Lücke. So mussten die Oldenburger noch weiter auf die Inbetriebnahme des Haltepunktes warten. 

Am 14.06.2015 hielten zum ersten Mal die Züge der Regio-S-Bahn am neuen Haltepunkt in Oldenburg-Wechloy.

Seit August 2014 kündigte zwar schon das Stationsschild den neuen Haltepunkt Wechloy an. Aber wegen eines Signalmastes sorgte die Lücke im Bahnsteig dafür, das bisher kein Zug hier halten konnte. Der Bahnsteig in Oldenburg-Wechloy am 01.03.2015. Fotos:©K.D.Stolle.

"Ob es dann im Frühjahr 2015 endlich klappt oder der DB in Hannover eine neue Schikane einfällt, die ja in der Eisenbahngeschichte Oldenburgs Tradition haben, bleibt abzuwarten." schrieb ich im Dezember 2014, am 14.03.2015 berichtete die NWZ, dass auch im Frühjahr 2015 nicht mit der Eröffnung des Haltepunkts zu rechnen ist. Siehe Artikel der NWZ.

Am 22.04.2015 wurde berichtet, dass nun im Juni mit der Eröffnung des Haltepunktes in Wechloy zu rechnen sei. Nachdem bereits am 08.05.2015 berichtet wurde, das die Bahn auf Nachfrage mitgeteilt habe, das der Haltepunkt zum kleinen Fahrplanwechsel am 14.06.2015 in Betrieb gehen soll, begannen im Juni tatsächlich die Bauarbeiten, nachdem auch im Fernsehen in der Sendung "extra3" zum Thema schon satirisch berichtet wurde.

In der Nacht zum 18.05.2015 konnte der Signalmast, trotz eines zunächst fehlenden Schraubenschlüssels, gelöst und entfernt werden. Gegen 2.30 Uhr schwebte laut NWZ dann das fehlende Bahnsteigsegment ein und die Lücke wurde endlich geschlossen. Anschließend begannen die restlichen Arbeiten, so dass es am 14.06.2015 auch endlich mit den Zughalten klappte.

In der Nähe an der Kreuzung der Eisenbahnstrecke Oldenburg – Leer mit der heutigen Ammerländer Heerstraße (Km 3,40) gab es bereits einmal einen Haltepunkt Wechloy. Dieser an der Kreuzung der damaligen Ofener Chaussee mit der Eisenbahn gelegene Haltepunkt wurde offiziell am 15.10.1889 als Haltepunkt mit beschränkten Personenverkehr eröffnet. Er wurde aber bereits vom 18.08. bis 29.09.1889 für Sonder-Personenzüge genutzt. 
In einer Streckenbeschreibung aus dem Jahre 1915 wird der Haltepunkt auch erwähnt. Laut einem GOE-Fahrplan von 1892, hielt der um 7.55 in Oldenburg aus Neuschanz ankommende Zug um 7.49 Uhr bei Bedarf auch in Wechloy. Außerdem hielt mittwochs und sonnabends ein um 11.48 von Oldenburg nach Zwischenahn verkehrender Zug um 11.57 fahrplanmäßig in Wechloy. Im Jahr 1896 hielt anstelle dessen der Zug Oldenburg - Neuschanz um 11.33 bei Bedarf in Wechloy während der Zug aus Neuschanz bereits um 7.30 Uhr dort bedarfsweise hielt. Auch im Jahre 1905 taucht Wechloy noch als Halt in den Fahrplänen auf, im Sommer 1905 hielt ein aus Leer kommender Zug um 7.37 Uhr in Wechloy. Mittwochs und sonnabends hielt ein von Oldenburg nach Leer verkehrender Zug um 11.25 Uhr in Wechloy.
Während die Station noch im Jahre 1917 auf der GOE-Streckenkarte verzeichnet ist, fehlt sie bereits auf der letzten veröffentlichten Karte der Reichsbahndirektion Oldenburg aus dem Jahre 1934. Denn am 29.09.1923 hatten die Nachrichten für Stadt und Land gemeldet, dass ab 01.10.1923 die Haltestellen Ziegelhofstraße und Wechloy aufgehoben werden.
Eine Eisenbahnkarte von 1892 erwähnt bereits die Station, in unmittelbarer Nähe des nur dem Personenverkehr dienenden Haltepunktes eröffnete im Jahre 1899 der Brauereibesitzer Ehlers das Restaurant „Feldschlösschen“ inmitten einer parkähnlichen Anlage. Es wurde einer der beliebtesten Ausflugziele der Oldenburger und war eventuell mit einer der Gründe für die Einrichtung dieses Haltepunktes. Vielen ist das Gebäude des „Feldschlösschen“ noch als Oldenburger Gasthausbrauerei Hengelbräu bekannt, die von 1987 bis zu einem Brand dort beheimatet war. Angeblich waren Brandschäden vom November 1998 aber so groß, um das Gebäude, das jahrelang leerstand zu erhalten, so wurde es im Jahre 2006 leider abgerissen.

Bereits seit 1848 gab es in Wechloy, die noch heute existierende Gaststätte "Zum Drögen Hasen" und in der Nähe der Station gab es bereits um die Jahrhundertwende das Restaurant „Zur Linde“ mit Ballsaal von H.Dieks , das spätere „Krückeberg“, das vielen Oldenburgern noch als Tanzlokal bzw. als Großdisko „Scala“ ein Begriff sein dürfte. Heute befinden sich auf dem Gelände ein Supermarkt, ein Bettenhaus und ein Restaurant.

Bahnhof Bloh

Neben Wechloy gab es auf dem Gebiet der ehemaligen Gemeinde Eversten noch den Bahnhof Bloh (km 5,99) Dieser idyllisch gelegene Bahnhof, der vor allen von den Oldenburgern für Ausflüge in den Bloher Wold mit dem seit 1870 existierenden Waldhaus Bloh genutzt wurde, wurde bereits im ersten Fahrplan der Strecke Oldenburg – Leer vom 15.06.1869 erwähnt. Um 1915 führte vom Bahnhof eine im Privatbesitz stehende hölzerne Fußgängerbrücke über die Bahnhofsgleise nach der gegenüberliegenden Gastwirtschaft. Er lag im 1924 nicht in die Stadt Oldenburg eingemeindeten Westteil der Gemeinde Eversten, aus dem zunächst die Gemeinde Ofen gebildet wurde. Nach der Auflösung der Gemeinde 1933 lag der Bahnhof in der Gemeinde Zwischenahn. Im Sommer 1939 hielten von dem im Fahrplan verzeichneten 17 Zugpaaren 11 auch in Bloh. Durch das lange Ausweichgleis an der eingleisigen Strecke behielt die Station auch nach der Aufgabe in den 50er Jahren noch einige Zeit an Bedeutung, so dass es hier noch Zughalte gab. In den 90er Jahren wurde das Bahnhofsgebäude, dass lange Zeit noch als Wohnhaus genutzt wurde endgültig abgerissen und mittlerweile wurde auch das zweite Gleis entfernt.

Bahnhof Petersfehn und Bahnhof Kayhauserfeld


Zur späteren Gemeinde Eversten gehörte einst auch Petersfehn am 15.10.1889 wurde die zwischen Bloh und Bad Zwischenahn liegende Station Petersfehn bei km 10,97 eröffnet. Es handelte sich um ein Haltepunkt für beschränkten Personenverkehr. Am 15.11.1893 wurde dieser Haltepunkt der beim Posten 61 der Strecke Bloh – Zwischenahn lag geschlossen und nur noch als Torfladestation genutzt. An dessen Stelle wurde bei Posten 62 ein neuer Haltepunkt mit der Bezeichnung Kayhauserfeld für den beschränkten Personenverkehr eröffnet. In einer Beschreibung der Bahnlinie aus dem Jahre 1915 heißt es: „Hinter Bloh beginnt die Bahn zu steigen und erreicht, durch abwechselndes Fallen und Steigen unterbrochen, beim Bahnhof Kayhauserfeld, km 10,84, ihren Höchstpunkt, +10,00, zugleich die Wasserscheide zwischen Weser und Ems“. Im Gegensatz zu Petersfehn gehörte Kayhauserfeld bereits vor 1933 zur Gemeinde Zwischenahn und nie zu Eversten. Im Sommer 1939 hielten von den im Fahrplan verzeichneten 17 Zugpaaren 10 in Kayhauserfeld. Heute halten übrigens schon lange keine Züge mehr in Kayhauserfeld, das Stationsgebäude ist jedoch noch erhalten.

Der Bahnhof Kayhauserfeld 2009, oben Vorderfront, unten Bahnfront, mitte Ausschnitt eines Fahrplanes von 1888 ©Stolle


Haltepunkt Bürgerfeld

Nach dem bereits abgehandelten Haltepunkt Ziegelhofstraße folgte auf der Strecke zum Jadebusen der erst am 15.10.1889 eingerichtete Haltepunkt Bürgerfeld. Die Station befand sich in der Nähe des Bahnüberganges Alexanderstraße. Infolge der Eröffnung des Bahnhofes Ofenerdiek am 01.04.1924 wurde der Haltepunkt aufgehoben und erst am 03.10.1937 wieder in Betrieb genommen. Während noch im Sommer 1939 von dem im Fahrplan verzeichneten 32 Zugpaaren 9 in Bürgerfelde hielten, waren es im Jahre 1944 nur noch zwei Züge in Richtung Wilhelmshaven (5.34 u. 17.24 Uhr) und ein Zug in Richtung Oldenburg (6.18 Uhr). Im Sommer 1964 hielt der um 7.13 Uhr aus WHV kommende Zug auch in Bürgerfelde, diese Station wird auch noch im Sommer 1967 im Kursbuch als Haltepunkt erwähnt, obwohl kein einziger Zughalt mehr zu verzeichnet ist. Der Haltepunkt ist aber wohl noch in den sechziger Jahren endgültig aufgegeben worden. Heute erinnert nur noch eine Straße mit Namen „Stationsweg“ an seine Existenz.

Im Jahre 1923 gab es an der Bahnstrecke nach Wilhelmshaven in Bürgerfelde nur sehr geringe Wohnbebauung

Foto mitte: Blick auf den ehem. Haltepunkt Bürgerfeld um 1958, die Schranken am Bahnübergang Alexanderstraße sind gerade geschlossen. Foto unten: Das Schild am Gebäude in Großaufnahme. Fotos: Archiv Stolle

Bahnhof Ofenerdiek

Am 01.04.1924 wurde an der 1867 in Betriebe genommenen Eisenbahnstrecke Oldenburg –Wilhelmshaven der Bahnhof Ofenerdiek eröffnet, nachdem hier ein neues Wohngebiet entstanden war. Am gleichen Tage wurden aber die Haltepunkte Bürgerfelde und Neusüdende geschlossen, was vor allen in dem zur Gemeinde Rastede gehörenden Neusüdende auf großes Unverständnis stieß. Die Forderung nach Wiedereröffnung des Haltepunktes hatte aber erst am 03.10.1937 Erfolg, als ein Vorortverkehr von Oldenburg HBF nach Rastede eingerichtet wurde, von dem auch der Bahnhof Ofenerdiek profitierte. Im Sommer 1939 hielten von dem im Fahrplan verzeichneten 32 Zugpaaren 17 in Ofenerdiek. Im Jahre 1966 wurde die Station in Ofenerdiek als selbständiger Bahnhof aufgelöst und in eine dem Hauptbahnhof Oldenburg untergeordnete Dienststelle umgewandelt, in der nur noch jeweils ein Fahrdienstleiter den Dienst wahrnahm. Der Bahnhof Ofenerdiek wurde im Jahre 1979 geschlossen. Südlich des Bahnhofs gab es noch eine Abzweigung einer Strecke die auf das Gelände des Fliegerhorstes führte.
Heute verkehrt auf der Bahnstrecke die Nordwest Bahn, im Juni 2022 wurde eine Resolution von ProBahn, des VCD und der AG Ofenerdieker Vereine an den Oldenburger OB übergeben, in dem gefordert wurde einen Bahnhaltepunkt zusammen mit der Bahnunterführung in Ofenerdiek zu planen. Da ab dem Fahrplanwechsel die Regio-S-Bahn über Oldenburg hinaus auch nach Wilhelmshaven fahren wird, dränge sich nach Ansicht von ProBahn ein neuer Halt in Ofenerdiek geradezu auf. Dazu berichtete die NWZ am 18.06.2022.

Das ehemalige Stationsgebäude Ofenerdiek im Juni 2009 Fotos: ©Stolle


Zentralviehmarkt (Eisenbahnanschluss)

Für den am 14. September 1926 eröffnete Zentralviehmarkt an der Ulmenstraße hatte man einen Eisenbahnanschluss geschaffen. Auf dem an der heutigen Dragonerstraße liegenden Gelände befanden sich ursprünglich die Stallungen für das Dragonerregiment befunden. Etwa an der heutigen Einmündung der Straße Plaggenhau in den Schiebenkamp lag der Abzweig der Strecke zum Zentralviehmarkt. Bereits am 30.06.1934 hörte der Geschäftsbetrieb auf, da das Gelände von der Stadt an den Fiskus des Reichs verkauft wurde, der es wieder als Kasernengelände nutzen wollte. 

Bahnhof Osternburg

Der ehemalige Bahnhof Osternburg im Jahre 2009 an der Bremer Heerstraße. Das untere Bild zeigt die Bahnseite des Gebäudes um 1911 und 2009. Das Obergeschoß mit Spitzdach, ist schon lange nicht mehr vorhanden. Am zugemauerten rechten Teil mit dem Grafitti befand sich um 1979 noch ein teilverglaster Anbau. ©Stolle

Der Haltepunkt in der damals noch selbstständigen Gemeinde Osternburg wurde am 15.10.1889 an der 1875 in Betrieb genommenen Strecke Oldenburg – Osnabrück eröffnet. Im Jahre 1890 entstand für den Fahrkartenverkauf eine Bude, damals hielt am Tag 4mal ein Zug in Richtung Osnabrück und 3mal ein Zug in Richtung Oldenburg. Das Bahnhofsgebäude wurde im Jahre 1910 erbaut und lag seit der Eingemeindung Osternburgs im Jahre 1922 in der Stadt Oldenburg. Im Sommer 1939 hielten von dem im Fahrplan verzeichneten 13 Zugpaaren 10 in Osternburg. Da die Eisenbahnbrücke über die Hunte Ende April 1945 gesprengt wurde, war der Bahnhof Osternburg bis Ende August 1945 kurzzeitig Endpunkt der Osnabrücker Strecke. Am 30.08.1976 wurde der Gepäck- und Expressgutschalter geschlossen und seit dem 27.05.1979 halten in Osternburg keine Züge mehr. Zuletzt hielten werktags 13, sonnabends 10 und sonntags 4 Züge am Bahnhof Osternburg. Nach Schließung des Kiosk machte das Gebäude einen trostlosen Anblick. Inzwischen wurde das Gebäude jedoch von einen Osternburger Gastwirt ersteigert, der das Gebäude erhalten will.

Bahnhof Krusenbusch/Verschiebebahnhof

In Jahre 1909 wurde die zunächst Kreuzungsbahnhof Osternburg genannte Anlage eingeschränkt in Betrieb genommen. 1911 war der Verschiebebahnhof Oldenburg (Bf Oldenburg Vbf) dann vollständig betriebsbereit. 1913 kam noch ein Güterschuppen und eine Wagennebenwerkstätte hinzu, 1917 umfasste der Betrieb 32 km Gleis, 114 Weichen, einen Lokschuppen mit 32 Ständen, zwei Drehscheiben, einen Wasserturm und sechs Stellwerke. Das nördliche Stellwerk 1 befand sich etwa an der heutigen Abzweigstelle Tweelbäke und das südliche Stellwerk 6 am Bahnübergang Sprungweg.

Später entstand auch für Personalzüge am VBF Oldenburg ein Bahnsteig, denn inzwischen waren in der Nähe auch Wohnhäuser für Bahnbedienstete entstanden. Diese Personalzüge fuhren täglich etwa stündlich vom Bahnsteig 1a des Hauptbahnhofs über Osternburg zum VBf Oldenburg bzw. kamen von dort aus am Bahnsteig 1a an. Laut dem Fahrplan vom Februar 1941 fuhren von 0.13 Uhr bis 23.02 ab HBF täglich 22 dieser Züge in Richtung VBf und zurück.

Nachdem die im II.Weltkrieg zerstörten Bahnanlagen wiederaufgebaut waren, verkehrten auch die Personalzüge wieder im Pendelverkehr zwischen dem Hauptbahnhof und den Stellwerken und des Betriebswerkes des VBF und standen auch für den allgemeinen Personenverkehr zur Verfügung.

Erst im Mai 1951 wurde für alle fahrplanmäßigen Personenzüge, die auf der Strecke Oldenburg - Osnabrück verkehrten der neue Haltepunkt Krusenbusch in Betrieb genommen. Im Sommer 1956 entstand auch ein Stationsgebäude für diesen Haltepunkt, das für damalige Zeit moderne Gebäude bestand aus einer Wartehalle, einer Fahrkartenausgabe und einem Dienstraum. Eine einzige Person erledigte dort den Verkauf von Fahrkarten, die Gepäckabfertigung, den Schrankenwärterdienst und den Telefon- und Fernschreibdienst.


Bild: Der Bahnhof Krusenbusch, Am Schmeel Ecke Tweelbäker Tredde, das Gebäude entstand 1956. Ein Bahnübergang sorgte für das Erreichen des westlichen Bahnsteiges , der hier noch zweigleisigen Bahnstrecke Oldenburg - Osnabrück. Eine Fußgängerbrücke führte über das Gelände des Verschiebebahnhofs und verband den Haltepunkt mit Bümmerstede. Siehe Zeichnung, der rote Punkt kennzeichnet den Standpunkt des Stationsgebäudes.Fotos: Archiv Stolle

Nachdem bereits im Jahr 1976 der Betrieb auf dem Verschiebebahnhof eingestellt worden war, erfolgte 1979 auch die Aufgabe des Haltepunkts für den Personenverkehr. Das bescheidene Empfangsgebäude an der Straße Am Schmeel wurde wie auch die meisten anderen Gebäude des Vbf abgerissen. Erhalten ist noch das ehemalige Verwaltungsgebäude der seit 1961 Rangierbahnhof (RbF) Oldenburg genannten Anlage.


Am 01.05.1896 wurde die 31,88 km lange Eisenbahnstrecke von Oldenburg nach Brake, die im Volksmund wegen des Untergrundes auch „Gummibahn“ genannt wurde eröffnet. Eine besondere wirtschaftliche Bedeutung hat die Eisenbahnlinie aber nie erreicht. Es fuhren in den besten Jahren täglich fünf Personen- und zwei Güterzüge in beide Richtungen. Laut dem Fahrplan von 1930 fuhren die Züge alle in Oldenburg vom Bahnsteig 4 ab und kamen dort auch an. Die Ankunftzeiten in Oldenburg waren damals 7.38, 11.33, 14,27, 18.33 und 21.41; Abfahrzeiten in Oldenburg waren um 8.15, 11.30 (nach Nordenham), 15.18, 19.19 und 22.53 Uhr. Die Bahnstrecke hatte folgende Stationen.

Oldenburg (Oldb)  HBF – Ohmstede – Etzhorn –Haltepunkt  Ipwege – Loy – Großenmeer – Oldenbrok – Strückhausen – Ovelgönne – Brake

Der Bahnhof Ohmstede, der nahezu baugleich mit dem Bahnhof Loy war, der heute noch steht, hatte als Besonderheit offene Warteräume, die erst später zugebaut wurden. In dem besten Jahr (1910) wurden immerhin zirka 23 500 Fahrkarten in Ohmstede verkauft. Kurz vor der Gabelung Butjadinger Straße/Elsflether Straße führte ein Weg in südlicher Richtung von der Donnerschweer Straße zum Bahnhof, leider wurde das Stationsgebäude abgerissen. 

Das mit dem Bahnhof Ohmstede (unten rechts) baugleiche Bahnhofsgebäude von Loy ist heute noch erhalten.     ©2009 Heiner Stolle /kl.Bild Slg. Stolle

Der Bahnhof Etzhorn mit Fahrkartenausgabe, Güterabfertigung und einer Bahnhofsgaststätte lag am Ende der heutigen Kornstraße. Der obere Teil des Bahnhofs war mit Holz verkleidet und mit einem blauen Anstrich versehen.  dadurch verstärkt der Witterung ausgesetzt.1961 wurde der Reiseverkehr und 1976 der Güterverkehr eingestellt. Die Strecke war unrentabel geworden. Der Bahnhof wurde in den siebziger Jahren ebenfalls abgerissen. 

Nur eine Schau-tafel erinnert noch an den Bahnhof Etzhorn, der auf dem freien Platz (kleines Bild) stand.              ©2009 Heiner Stolle

Der Bahnhof in Großenmeer an der Braker Bahn hat Ähnlichkeit mit dem Stationsgebäude in Etzhorn. Fotos:©1986 Klaus-D.Stolle

Erwähnt werden soll hier auch noch der zwischen Etzhorn und Loy liegende Haltepunkt Ipwege, dieser gehörte zum nördlichen Bereich der Gemeinde Ohmstede und befand sich östlich der Ortschaft Wahnbek, seit 1933 gehörte dieser Haltpunkt zur Gemeinde Rastede. 

Nachdem Anfang September 1945 die zerstörte Eisenbahnbrücke bei Großenmeer wiederhergestellt war konnte der Zugverkehr nach Brake zunächst von Oldenburg aus wiederaufgenommen werden. Erst im Spätherbst 1945 war Brake auch wieder von Hude aus erreichbar, nachdem anstelle der zerstörten Huntebrücke bei Elsfleth dort eine Behelfsbrücke errichtet war. Der Personenverkehr auf der Strecke Oldenburg - Brake wurde am 30. September 1961 und der regelmäßige Güterverkehr 1962 eingestellt, danach fanden nur noch gelegentlich Übergabefahrten statt. In den 70er Jahren wurde die Strecke als Ausweichstrecke genutzt, da 1972 wegen Bauarbeiten die Huntebrücke der Strecke Hude - Nordenham gesperrt werden musste. Als 1976 dann die Gleise zwischen Hude und Brake erneuert wurden, liefen die Erzzüge von Nordenham-Blexen über Brake - Großenmeer - Oldenburg weiter Richtung Bremen, ca. 60 Züge pro Tag rollten über die Strecke. Kurze Zeit später wurde der Streckenabschnitt zwischen Oldenburg-Etzhorn und Loy infolge des Autobahnneubaues abgebaut. Am 01.04.1998 wurde der endgültige Rückbau der Strecke verfügt.

Als Quelle für die Geschichte der Oldenburger Bahnhöfe diente mir vor allen das Buch von Peter Löffler „Die Eisenbahn in Oldenburg“ aus dem Jahr 1999, erschienen in EK-Verlag Freiburg. 


Aber auch an der Strecke Oldenburg - Bremen gab es bis 1967 noch einen Haltepunkt auf stadtoldenburger Gebiet.

Haltepunkt  Neuenwege

Der Haltepunkt Neuenwege lag 4,51 km vom Oldenburger Hauptbahnhof entfernt und war vom 01.10.1891 bis in den sechziger Jahren der erste Haltepunkt für Nahverkehrszüge nach Verlassen des Hauptbahnhofs. Große Bedeutung erlangte die Station aber nie, anfangs hielten von den 9 Zugpaaren nur 2 Züge in Richtung Oldenburg und einer in Richtung Bremen bei Bedarf auch in Neuenwege, laut Plan 1896 waren es bereits 4 bzw. 3  Bedarfshalte. Später waren die Aufenthalte fest eingeplant,  allerdings hielten 1914 auch nur 4 von 23 Zugpaaren in Neuenwege. Auch im Sommer 1939 stoppten von den im Fahrplan verzeichneten 28 Zugpaaren lediglich 5 in Neuenwege. Aus dem ab 01.11.1943 gültigen Fahrplan ist ersichtlich, dass nur noch 2 Züge  in Richtung Bremen in Neuenwege einen Halt einlegten, während es in Richtung Oldenburg weiterhin 5 Züge waren. Im Dezember 1945 hielten alle 3 zwischen Oldenburg und Bremen-Neustadt verkehrenden Zugpaare in Neuenwege. Im Kursbuch Winter 1966/67 der bis zum 27.05.1967 galt, erschien die Station zum letzten Mal, damals hielt in Richtung Bremen um 13.24 und 17.52 Uhr und in Richtung Oldenburg um 7.11 und 14.19 Uhr noch ein Zug in Neuenwege. Im folgenden Kursbuch Sommer 1967 war dieser Haltepunkt bereits nicht mehr verzeichnet.

Der ehemalige HP Neuenwege im Oktober 2013. (Foto H. Stolle) - Die  Karte aus dem Jahre 1923 zeigt den Haltepunkt in Neuenwege

Der ehemalige Wasserturm der DB am Stau in Oldenburg konnte vor dem Abriss bewahrt werden. (siehe Artikel "Der Wasserturm am Stau" auf dieser Seite) Die Aufnahme mit Blick durch die Eisenbahnbrücke in Richtung Innenstadt entstand im Jahre 2010.©Foto Heiner Stolle. Nach Wiederherstellung der früheren Eisenbahnbrücke rollte Ende August 1945 wieder ein Zug über die Hunte zum HBF Oldenburg.


Der Wasserturm am Bahnhof Hude ist aber nicht der einzige im Oldenburger Land, der im Laufe der Jahre von der Bahn abgerissen wurde. Genannt sind hier nur der Wasserturm am Verschiebebahnhof Oldenburg oder der auf dem ehemaligen AW-Gelände am Oldenburger Hauptbahnhof. Und auch der Wasserturm am Stau hätte fast die Abreisswut der DB nicht überlebt. Der im Jahre 1908 in Auftrag gegeben 33 Meter hohe Wasserturm in Oldenburg am Stau, direkt an der Eisenbahnbrücke wurde 1909 in Betrieb genommen. Im Jahre 1987 sollte auch dieser Wasserturm abgerissen werden. Die weisse Ummantelung und das Dach waren bereits entfernt worden. Dank des Einsatzes eines Vereins, der sich für die Erhaltung des Wasserturmes einsetzte, konnte jedoch der Abriss verhindert werden und beheimatet heute ein Architekturbüro. So konnte dieses Industriedenkmal 2009 seinen 100sten Geburtstag feiern. 

Auch das alte Stellwerk in Ahlhorn an der Vechtaer Straße aus dem Jahre 1932,  eine Kombination aus Stellwerk und Wasserturm und in dieser Region einmalig, ist nun nachdem es lange Jahre leerstand und vom Abbruch bedroht war unter Denkmalschutz gestellt worden, wie der NWZ zu entnehmen war. Somit entgeht er dem Schicksal vieler Wassertürme der Bahn, die in den letzten Jahrzehnten verschwanden. Nachdem die im Jahre 2015 begonnene Sanierung abgeschlossen ist, wird das Gebäude am 21.10.2016 offiziell seiner neuen Bestimmung übergeben. Der Monumentendienst nutzt es künftig als Büro- und Verwaltungsgebäude.


Die im Jahre 1954 fertiggestellte Eisenbahnklappbrücke über die Hunte in der Stadt Oldenburg wird täglich von mehr als 100 Zügen befahren, ist jedoch in die Jahre gekommen. Es kommt immer wieder zu Ausfällen, die den Bahnbetrieb beeinträchtigen. Daher wird schon lange ein Neubau der Brücke gefordert. Wegen eines festgestellten Risses kann die Brücke seit 04.11.2025 nur noch eingleisig befahren werden, was zu großen Einschränkungen und Ausfällen im Zugverkehrs führt. Für die Reparatur wird die Brücke nun  vom 06.12. bis 08.12.2025 vollständig gesperrt, damit laut DB in der Brückenkonstruktion zwei spezielle fünf Meter hohe und über eine Tonne schwere Stützen eingebaut werden können. Danach sei der Engpass auf der Strecke behoben und die Züge können die Brücke wieder zweigleisig befahren.


Bahnhof Wüsting

Im Sommer 1939 hielten von dem im Fahrplan verzeichneten 26 Zugpaaren 11 in Wüsting. Auch nach dem 2. Weltkrieg hielten hier noch jahrelang  Personenzüge, bis der Bahnhof im Jahre 1977 für den Personenverkehr geschlossen wurde.

Der letzte dort haltende Zug nach Oldenburg verließ den Bahnhof Wüsting  am 21.05.1977 um  19.22 Uhr. Es sollte damals nur für ein Jahr getestet werden, ob die Personenbeförderung ausschließlich durch Busse erfolgen könnte. Fahrkarten, die auch im Bus gültig waren, wurden dagegen weiterhin am Fahrkartenschalter des Bahnhofes verkauft. Trotz Protesten der Kunden die nun statt 10 Minuten jetzt 25 Minuten benötigten um Oldenburg zu erreichen blieb es bei der Entscheidung der DB für den reinen Busbetrieb.

Im Jahre 1867 wurde die Eisenbahnstrecke Bremen-Oldenburg eröffnet und der zwischen Oldenburg und Hude liegende Ort Wüsting erhielt einen Bahnhof. Foto:©Heiner Stolle

Nach langen Bemühungen entstanden im Jahre 2006 unmittelbar an den Bahnübergang angrenzend zwei neue Bahnsteige von je 210 Metern Länge und einer Höhe von 76 Zentimeter entstanden. Diese Bahnsteige bieten so Platz für Züge mit bis zu sieben Wagen. Die Bahnsteige sind barrierefrei über Rampen erreichbar. Taktile Blindenleitstreifen im Bahnsteigbelag ermöglichen auch sehbehinderten Fahrgästen eine sichere Orientierung. Die Bahnsteige wurden mit transparenten Wartehäuschen, einem modernen Wegeleitsystem, freundlicher Beleuchtung und neuen Informationsvitrinen ausgestattet. Die Kosten von rund 1,4 Millionen Euro für den Bau der neuen Station werden aus dem Investitionsprogramm „Niedersachsen ist am Zug!“ des Landes Niedersachsen und der Deutschen Bahn finanziert. Seit dem 10. Dezember 2006 halten wieder zwischen 4.17 Uhr morgens und 1.13 Uhr nachts jeweils 22 Regionalzüge nach Oldenburg und in Richtung Bremen am Bahnhof Wüsting. Nach 29 Jahren Unterbrechung wurde der Bahnhof wieder in Betrieb genommen.

Weitere Bilder vom Bahnhof Wüsting siehe unter www.länderbahn.

Bahnhof Hude

Das ehemalige Empfangsgebäude des Bahnhofs Hude wurde im Jahre 1867 erbaut, neben dem Güterschuppen entstanden nach und nach ein Lokschuppen mit Drehscheibe, eine Wasserstation, ein Wasserturm (um 1910)  sowie eine Reparaturwerkstatt. Zwischen den Bahnstrecken BremenOldenburg und der Strecke nach Nordenham (Blexen) gelegen, hatte das Huder Bahnhofsgebäude eine ungewöhnliche Form. Die nach beiden Seiten gleichwertig gestaltete Fassade sorgte dafür, dass der Bahnhof als Bindeglied zwischen den durch die Schienen getrennten Ortsteilen diente.

Im Jahre 2009 ist von den auf dem  Foto aus den 60er Jahren zu sehenden Gebäuden nur noch das zwischen dem Empfangsgebäude und dem Wasser-turm liegende ehem. Verwaltungs- und Postgebäude erhalten geblieben. Dort war nach der Aufgabe des Haupt-gebäudes zeitweilig die Fahrkarten-ausgabe unterge-bracht. 2009 waren  Türen und Fenster bereits zugenagelt. Im Oktober 2012 wurde auch dieses Gebäude abgerissen.


Fotos: ©Stolle

Bereits 1968 erfolgte der Abriss des Wasserturms. In den Folgejahren ließ die Bahn auch das Empfangsgebäude des Bahnhofs, der einst zu den schönsten und größten in Nordwestdeutschland zählte verkommen. Zunächst wurden Bahnhofsanlagen abgebaut, um den Fußgänger- und Radfahrertunnel zu realisieren, der die im März 1980 abgerissene Fußgängerbrücke ersetzte. Bereits im September 1988 hatte die Bundesbahndirektion in Hannover mit einem Planfeststellungsbeschluss den Abriss des denkmalgeschützten Gebäudes verfügt. Dagegen gab es zahlreiche Einwände von Gemeinde, Landkreis, des „Förderkreis Bahnhof Hude“, der AGfH sowie des Gewerbe- und Verkehrsverein. Nachdem 1993 das Bundesverwaltungsgericht in Berlin den Abrissbeschluss bestätigte rollten die Abrissbagger an. Hude verlor seine symbolische Mitte und die „Keimzelle“ der Ortsgeschichte. Die NWZ berichtete das der Beginn der Abrissarbeiten  von einem großen Polizeiaufgebot begleitet gewesen war, doch die erwarteten Demonstranten blieben damals aus.

Im Jahr 1986 war das alte Bahnhofsgebäude in Hude bereits vernagelt. Foto ©Klaus-D.Stolle


Die Eisenbahnbrücke in Hude um 1940, sie führte über die gesamte Bahnanlage und war der Zugang zu den Bahnsteigen und dem zwischen den Strecken liegenden Bahnhofsgebäude. Foto: Archiv Stolle

Weitere Bilder vom Bahnhof Hude siehe unter www.länderbahn.

Von den alten Bahnhofsanlagen ist heute nichts mehr vorhanden, die Bahnsteige wurden nun erneuert und seit 2015 gibt es auch wieder auf einem Bahnsteig ein Unterstand, dank der umfangreichen Baumaßnahmen zur Modernisierung der Bahnstation Hude. 

Im September 2015 sieht der Bahnhof Hude wieder etwas mehr nach einem Bahnhof aus. Foto H.Stolle



Der Bahnhof in Bremen-Neustadt führt eher ein Schattendasein, das Gebäude ersetzte 1931 das schönere alte Gebäude aus der Kaiserzeit. ©Klaus-Dieter Stolle

Der ehemalige Bahnhof in Blexen ist einer der schönsten Stationen im Oldenburger Land und überstand die Abrisswut der DB. Einst war er Endpunkt der Strecke aus Hude. ©Klaus-Dieter Stolle

Bahnstrecke Hude - Nordenham - Blexen

Die Streckeneröffnung Hude bis Brake erfolgte am 01.01.1873 (25,53 km), bis Nordenham am 15.10.1875 (18,12 Km) und bis Blexen am 10.04.1905  (6,57 Km). Die Personenzüge auf der Strecke Bremen - Hude - Nordenham verkehren heutzutage im Stundentakt (ca. 16 Fahrten pro Tag).

Die 50 km lange Strecke Hude - Blexen hatte folgende Stationen: Hude – Neuen-kop – BerneElsfleth – Hammelwarden – KirchhammelwardenBrake - Golzwarden – Sürwürden – Rodenkirchen (Oldb)  – KleinensielNordenham – Kabelstraße – Friedrich-August-Hütte – Werftstraße – Einswarden - Blexen.

Butjadinger Eisenbahn Nordenham - Eckwarderhörne

Bereits 1906 wurde der Bau dieser Strecke beschlossen, nachdem man sich über den Verlauf der Strecke geeinigt hatte begann man am 01.06.1907 mit den Bauarbeiten. Die Butjadinger Eisenbahn nahm am 15.08.1908 zwischen Nordenham und Stollham (9,7 km) den Betrieb auf. Bereits am 18.09.1908 konnte der 7,3 km lange Abschnitt bis Burhave in Betrieb genommen werden. Es folgten die Abschnitte Burhave –Eckwarden (10,9 km) am 01.07. 1909 und schließlich am 01.08.1909 die 2,2 kmlange Reststrecke nach Eckwarderhörn. Eigentümer war der Amtsverband Butjadingen, ab 1933 der Kreis Wesermarsch. Ein wirtschaftlicher Fehler für diese Privatbahn blieb aber wohl die Tatsache das die Strecke nicht nach Blexen führte und somit nicht die Fähranbindung über die Weser genutzt werden konnte. Der Personenverkehr wurde am 08.07.1956 eingestellt. Der Güterverkehr wurde am 08.10.1956 von der Deutschen Bundesbahn übernommen. Nachdem der Abschnitt Eckwarden – Stollham bereits 1959 eingestellt wurde, folgte 1965 der Abschnitt bis Abbehausen und 1968 schließlich die Gesamteinstellung. Daten über die Strecke findet man auch unter diesem Link. Eine wichtige Einnahmequelle des Butjenters bis 1951 war auch der Postverkehr.

Stationen: Nordenham - Ellwürden - Abbehausen - Moorsee - Stollhamm - Mitteldeich - Burhave - Langwarden - Ruhwarden - Tossens - Eckwarden - Eckwarderhörne.

Bahnstrecke Delmenhorst - Vechta - Hesepe

Am 01.05.2008 wurde die 48,13 Km lange Bahnstrecke Delmenhorst - Vechta bereits 110 Jahre alt.  Im Jahre 1898 erfolgte die Eröffnung, während der Streckenabschnitt von Vechta nach Lohne noch 10 Jahre älter ist. Bereits am 01.09.1888 erfolgte die Eröffnung der 7,78 Km langen Strecke, damals aber als Verlängerung, der heute nicht mehr existierenden 20,30 Km langen Bahnstrecke Ahlhorn – Vechta, die bereits am 01.10.1885 entstanden war. Die Verbindung zwischen Lohne und der Bahnstrecke Oldenburg – Osnabrück wurde erst am 01.05.1900 hergestellt. Nachdem die 22,32 Km lange Verbindung Lohne bis Neuenkirchen bereits am 01.11.1899 in Betrieb genommen werden konnte, war der 10,21 Km lange Abschnitt bis Hesepe erst im Mai 1900 fertiggestellt. Zeitgleich wurde damals auch die 7,29 Km lange Strecke Holdorf nach Damme in Betrieb genommen, die heutzutage aber nicht mehr existiert. Dagegen konnte die Einstellung des Eisenbahnverkehrs auf der Strecke zwischen Delmenhorst und Hesepe verhindert werden, heute pendelt hier die Nordwestbahn stündlich zwischen Bremen und Osnabrück. Nur die fett gedruckten Stationen sind heute noch in Betrieb:

Stationen: Delmenhorst – Dwoberg – Ganderkesee – Immer – BrettdorfDötlingenWildeshausen -  Düngstrup – RechterfeldGoldenstedtLutten – Holzhausen – Vechta-Falkenrott – Vechta – Krimpenfort – Lohne (Oldb)Mühlen (Oldb)Steinfeld (Oldb) Holdorf (Oldb)– Nellinghof – Neunkirchen(Oldb)Rieste - HesepeBramscheAchmerHalen - Osnabrück-Eversburg – Osnabrück-HasetorOsnabrück HBF

Der Bahnhof Ganderkesee in den 60er Jahren Fotos:©Stolle

Schienenbus in Ganderkesse um 1965 - Bahnhofsgebäude in Ganderkesee 2011

Mit der Eröffnung der Eisenbahnlinie im Jahre 1898 erhielt Ganderkesee auch ein stattliches Bahnhofsgebäude, das allerdings im April 1945 ein Opfer der damaligen Kriegshandlungen wurde. Einige Zeit danach diente dann eine Holzbaracke als Stationsgebäude. Erst 1949/50 entstand der neue Bahnhof von Ganderkesee in dem nach Aufgabe durch die DB bis zum Brand 2020 eine Gaststätte untergebracht war. Das ehemalige Bahnhofsgebäude soll nach der Sanierung wieder gastronomisch genutzt werden. Ein Ziegelstein des in Jahre 1945 zerstörten alten Bahnhof wurde in den neuen Bahnhof eingemauert.

Foto: Bf Ganderkesee vor 1945








                       

Bild: Vorderansicht des Bahnhofsgebäudes 2011

Die Station Immer ist dagegen längst Geschichte, der Haltepunkt wurde aufgegeben und das Bahnhofsgebäude abgerissen. Die Strecke die sich hinter der grünen Hecke verbirgt ist dort nur noch einspurig.










Bahnhof Immer 60er Jahre



















Gleiche Stelle im Jahre 2011

Fotos: Stolle

Weitere Nebenstrecken:

Kleinbahn Delmenhorst - Harpstedt

Stationen: Delmenhorst, Hasporterdamm, Annenheide, Stelle, Groß Mackenstedt, Heiligenrode, Kirchseelte, Groß Ippener, Dünsen und Harpstedt. Am 5. Juni 1912 erfolgte die Einweihung der Strecke. Für den Betrieb standen drei Dampflokomotiven, fünf Personen-, ein Gepäck- und Postwagen, sowie zehn Güter- und zwei Bahnmeisterwagen zur Verfügung. Mit diesen Betriebsmitteln wurden täglich vier Zugpaare gefahren. Von der 22,5 km langen Strecke befanden sich 17,6 km auf preußischem und 4,9 km auf oldenburgischem Gebiet. Im Jahr 1967 endete der Personenverkehr auf der Schiene, nachdem schon seit 1964 sonntags kein Zug mehr gefahren war. Historisches unter https://www.dhe-reisen.de/wir-über-uns/historie/

Kleinbahn Bremen – Theddinghausen

Stationen:  Bremen-Neustadt – Huchting – Kirchhuchting – Moordeich – Stuhr – Brinkum – Erichshof – Leeste – Kirchweyhe Ort – Südweyhe – Riede – Dibbersen – Thedinghausen, 30 Km Eröffnet: 01.10.1908. Die am 01.10.1908 eröffnete Kleinbahn durfte laut Vertrag die GOE Bahnhöfe Bremen-Neustadt und Huchting  mitnutzen. Nur die Stationen Moordeich und Stuhr lagen im Oldenburger Land. Der Reiseverkehr endete bereits 01.10.1957 nur der Güterverkehr blieb bestehen. Seit 1974 gehört die Gemeinde Stuhr nicht mehr zum Lk Oldenburg.

Delmenhorst – Hasbergen – Deichhausen – Altenesch – Lemwerder; 15 Km Eröffnet: 1922. Der Personenzugverkehr wurde am 27.03.1962 eingestellt. 

Ahlhorn – Schneiderkrug - Langförden - Calveslage - Vechta-Falkenrott - Vechta; 20 Km Betrieb: 1885 - 1967.

Kleinbahn: Cloppenburg - Emstek - Cappeln - Tenstedt - Schwichteler - Vestrup - Bakum - Daren - Schiedehausen - Vechta; 28 Km Betrieb: 1914 - 1965.

Lohne - Dinklage, 8 km hielt nur in den genannten Orten Betrieb: 1904 - 1954

Holdorf - Damme, Stationen: Holdorf - Handorf - Damme, Betrieb von 1900 bis 1952, der Anschluß von Damme nach Bohmte durch die Wittlager Kreisbahn erfolgte erst 1914, der Reisezugverkehr wurde auf diesen Abschnitt 1962 eingestellt.


135 Jahre nach der Inbetriebnahme fiel der Bahnhof Großenkneten im Februar 2011 dem Abrissbagger zum Opfer. Der um 1875 errichtete Bahnhof wurde mehrmals umgebaut. Nachdem das Stellwerk auszog und das Gebäude für den Bahnbetrieb überflüssig wurde erwarb die Gemeinde das Grundstück. Ein Investor für das Gebäude wurde angeblich nicht gefunden, der Bürgermeister der Gemeinde, der laut NWZ den Bahnhof von vornherein abreißen lassen wollte, hat sich letztlich leider durchgesetzt. Siehe auch den Artikel der Nordwest-Zeitung der das Ende des Bahnhofs dokumentiert. Damit verschwand wieder ein Denkmal der Oldenburgischen Eisenbahngeschichte.


Sande – Sanderbusch – Ostiem - Schortens-Heidmühle – Siebethshaus - Jever – Vereinigung – Asel - Wittmund  - Blersum - Burhafe - Stedesdorf - Esens (Ostfriesl.) – Holtgast -Fulkum - Roggenstede - Dornum - Westerende - Hage - Norden. Die Streckeneröffnung bis Jever erfolgte am 01.09.1871 (19,96) und bis zur Landesgrenze in der Nähe von Wittmund am 15.06.1883 (3,10 Km). Heute betreibt die NWB den Personenverkehr auf der Strecke Wilhelmshaven - Esens.

Bahnstrecke Jever - Harlesiel

Anlegeplatz in Harle um 1930, rechts wartet der Zug. Archiv Stolle

Von Jever führte seit dem 01.09.1888 die im Jahre 1989 endgültig stillgelegte Strecke zum Anleger in Harle, nach 1968 fuhren auf der Strecke aber nur noch bis 1987 die Tidezüge ohne Zwischenhalte, danach gab es bis 1989 nur noch Sonderfahrten nach Harle. Die Strecke hatte ursprünglich folgende Stationen:
Jever – Wiefels – Bussenhausen – Tettens – Hohenkirchen – Garms – Carolinensiel (bis 1890) – Harlesiel (ab 1890). Auch wenn die Strecke längst Geschichte ist, die Fähren von Harlesiel nach Wangerooge werden auch heute noch wie auch die Inselbahn von der DB betrieben. Siehe auch den Artikel über den Bahnhof Wangerooge, im unteren Teil dieser Seite.

Bahnhof Wangerooge

Bf Wangerooge im Mai 2010, Fotos: ©klausdstolle

Der 1905 begonnene und im Jahre 1906 fertiggestellte, repräsentative denkmal­geschützte Bahnhof Wangerooge aus Backstein mit großem Kuppelwalmdach und Uhrenturm wurde 2003 umfassend restauriert und modernisiert. Es ist gelungen, den historischen Teil der Fassade originalgetreu wiederherzustellen und gleichzeitig das Innere des Bahnhofs an die Anforderungen eines modernen Servicebetriebes anzupassen. Am Beginn der stand die umfangreiche Sanierung und Modernisierung des historischen Bahnhofsgebäudes mit seiner Jugendstilfassade. Im Inneren entstanden freundliche Schalterplätze und Büros, die neuen Sanitärräume sind behindertengerecht, selbst ein Wickelraum steht zur Verfügung. Ein kurzer Rückblick auf die Geschichte des Inselbahnhofs: Am 03.07.1897 war nach nur dreimonatiger Bauzeit der neue Anleger und die Inselbahn der Insel Wangerooge in Betrieb genommen worden. Aufgrund des starken Verkehrsanstiegs durch den planmäßigen Verkehr über die Oststrecke ab dem Sommer 1904 war der kleine Bahnhof in der Ortsmitte nicht mehr zeitgemäß. Im September 1904 begutachtete eine Kommission der G.O.E (Großherzoglich Oldenburgische Eisenbahn) die schlechten Verhältnisse am Dorfbahnhof und entschied dessen Verlegung aus der Ortsmitte, schon aufgrund der Beschaffung neuer Personen-wagen für die Sommersaison 1905. Im Frühjahr 1905 wurde dann mit dem Bau des neuen dreigleisigen Bahnhofs unterhalb des neuen Leuchtturms begonnen. Das großzügig bemessene Bahnhofsgebäude wurde ganz im oldenburgischen Stil errichtet. Bis zum Jahr 1907 wurde noch eine zweigleisige 50 Meter lange Bahnhofshalle errichtet, die gleichzeitig als Abstellanlage für die Wagen diente. In den folgenden Jahren stiegen die Fahrgastzahlen im Bäderverkehr fast um das doppelte an, welches mit dem Ausbruch des ersten Weltkrieges schlagartig beendet wurde. 1919 konnte der Inselverkehr dann wieder aufgenommen werden. Die ehemalige G.O.E ging übrigens 1923 in Deutschen Reichsbahn auf. Die bisher zuständige oldenburgische Eisenbahndirektion behielt weitgehend ihre Aufgaben und ihr Streckennetz firmierte aber nun als Reichsbahndirektion Oldenburg. Offiziell unterstanden nun alle Fahrzeuge der Inselbahn dem Bw Oldenburg Hbf und für die Strecke war die Bahnmeisterei Jever zuständig. Am 25. 04.1945 flogen 480 Bomber der Royal Air Force ihren letzten Großangriff gegen Deutschland wobei auch die stark befestigte Insel außer Gefecht gesetzt werden sollte. Hierbei wurde auch die Bahnhofs- und Wagenhalle so stark zerstört das nicht wiede aufgebaut wurde. West- und Oststrecke waren ebenfalls durch zahlreiche Bombentreffer unterbrochen. Der Bahnhof wurde nach dem 2. Weltkrieg zunächst ohne Turm und das obere Stockwerk wiederaufgebaut. Die Inselbahn vom Anleger zum Bahnhof ist nach wievor in Betrieb. Um nach Wangerooge mit der Bahn zu gelangen musste man zunächst von Sande aus in Richtung Jever fahren, diese Strecke wird heute noch von der NWB befahren, sie verläuft wie folgt:

Marinebahn / Vorortbahn Wilhelmshaven

Seit 1870 verfügte die Marinewerft inWilhelmshaven über einen eigenen Bahnbetrieb, zuletzt mit einem Gleisnetz von  ca. 200 km Länge. Im Jahre 1941 erhielt dieseMarinebahn dann auch die Genehmigung zum Personenverkehr, und zwar nach Sandesowie in die nördlichen Stadtteile Altengroden, Fedderwardergroden und Voslapp.Mit fünf Lokomotiven und insgesamt 37 Personenwaggons wurden täglich bis zu30.000 Personen zu ihren Arbeitsplätzen auf dem Werftgelände transportiert.Zu ihren Glanzzeiten waren etwa 600Mitarbeiter bei der Marinebahn beschäftigt. Da die Marinebahn schon frühaus der restlichen Werftorganisation ausgegliedert wurde, blieb Sie von denDemontagen nach 1945 verschont und wurde auf Befehl der alliiertenMilitärbehörden weiter betrieben.

Denn durchdie starken Kriegsschäden war der Betrieb der Straßenbahn eingestellt worden,daher blieb neben einigen Buslinien nur die Marinebahn als einziges öffentlichesVerkehrsmittel in Wilhelmshaven bestehen. Aus der mittlerweile von der DR betreutenMarinebahn wurde im November 1949 die Vorortbahn Wilhelmshaven. Sie erhielt denStatus einer Kleinbahn und nutzte 35,83 km der Strecken aus dem früheren Schienennetzder Marinebahn. Die Bahn betrieb auf ihren Strecken einen Personen- undGüterverkehr. Seit Mitte 1948 ging der Personenverkehr aber stetig zurück, daher kaufte die Bahn 1952 eine Schienenbuseinheit VT 30 und VB 40, die täglich neunmal  zwischen den Stadtnorden und Sande verkehrten.

Mit den Ausbau des Verkehrsnetzes durchdie Stadt Wilhelmshaven wurde es für die Vorortbahn aber immer schwieriger sichzu behaupten und daher wurde 1961 der Personenverkehr eingestellt, im Jahr 1960waren noch 510.025 Personen befördert worden. Einen Eindruck darüber vermittelt auch der Fahrplan Voslapp - Sande - Mariensiel - Wilhelmshaven von 1960/61, der  im Forum Drehscheibe veröffentlicht wurde. Der Güterverkehr wurde dagegen nochweiterbetrieben, aber zum 31. Dezember 1964 erfolgte die endgültige Auflösungder Vorortbahn Wilhelmshaven. Während der Fuhrpark verkauft wurde, erfolgte nureine teilweise Stilllegung der Gleisanlagen, ein Teil wurde bvon der DeutschenBundesbahn weitergenutzt.

Fahrzeuge können bei derHF in Wilhelmshaven besichtigt werden.

Varel - Neuenburg/Varel - Rodenkirchen

Noch ein Blick auf die Strecken der Vareler Nebenbahnen, während die 1,4 km lange Strecke Ellenserdamm - Ellensersiel und die 2,7 km lange Strecke Varel - Varelerhafen den Güterverkehr dienten, wurde die 19 km lange Strecke Varel – Neuenburg auch für die Personenbeförderung genutzt. Im Fahrplan 1927 und 1939 ist auch noch ein Zugpaar verzeichnet, dass von Varel über Borgstede nach Bramloge verkehrte, die 3,63 km lange Stecke Borgstede - Mühlenteich – Buttersheide – Bramloge wurde wie der Abschnitt Varel - Borgstede bereits am 01.01.1893 eröffnet, während die Abschnitte Borgstede - Bockhorn am 01.12.1893, Bockhorn - Zetel am 10.05.1894 und Zetel - Neuenburg am 01.04.1896 folgten. Laut Fahrplan von 1944 fuhr aber zwischen Borgstede und Bramloge schon kein Personenzug mehr.

Auch auf der Strecke Varel - Neuenburg wurde der Personenverkehr am 23.05.1954 eingestellt, der Güterverkehr folgte bis Anfang der neunziger Jahre. Der Bundesminister für Verkehr genehmigte der Deutschen Bundesbahn die Stilllegung offiziell zum 1. August 1993. Die Bahnverbindung von Varel bis Rodenkirchen, die offiziell nicht zu den Vareler Nebenbahnen gerechnet wird, wurde erst 1913 eröffnet, die 22 km Strecke mit den Stationen Varel – Hohenberge – Diekmannshausen – Schweiburg – Schweierzoll – Schwei – Rodenkirchenerwurp – Rodenkirchen war bis 1958 im Betrieb.

Zum 125jährigen Jubiläum der Eröffnung des ersten Streckenabschnittes  am 01.01.2018 veröffentlichte die NWZ folgenden Bericht. Es waren vor allen die Ziegeleibesitzer, die sich für den Bau der Strecken einsetzten, um ihre Produkte in alle Welt zu transportieren.


Kleinbahn Zwischenahn - Edewechterdamm

Stationen: : Bad Zwischenahn – Ekern – Edewecht – Osterscheps – Edewechterdamm 12 km

Mehr zur Strecke siehe unter Landbus Kraftpost & Co

Bahnhof (Westerstede-) Ocholt

Als die Eisenbahnstrecke Oldenburg – Leer gebaut wurde, blieb der Ort Westerstede außen vor, denn ansonsten wäre die Strecke fast 11 km länger geworden. Dafür enstand aber in Ocholt eine Bahnstation. Erst im Jahre 1876 erhielt auch Westerstede einen Bahnanschluss durch die Schmalspurstrecke nach Ocholt. Der Bahnhof Ocholt war übrigens lange Zeit ein bedeutender Kreuzungsbahnhof im Ammerland und besaß auch ein eindrucksvolles Bahnhofsgebäude. Das Gebäude, daß einst das Bild von Ocholt mit prägte, wurde leider einigen Jahren abgerissen.

Bahnhof Westerstede 

Bild: Ehem. Bahnhof Westerstede    ©Heiner Stolle

Der Bahnhof Westerstede aus dem Jahre 1905 konnte vor dem Schicksal vieler anderer Bahnhöfe im Oldenburger Land, dem Abriss, bewahrt werden.

Eisenbahnstrecke Ocholt - Westerstede - Grabstede - Ellenserdamm

Am 01.09.1876 wurde die Schmalspurbahn Ocholt - Westerstede eröffnet, nachdem zwischen 1893 bis 1896 die Vareler Nebenbahnen die friesische Wehde nach Norden hin erschlossen hatten, hatte sich im südlich davon gelegenen Ammerland schon bald der Wunsch geregt auch an dieses Eisenbahnnetz angeschlossen zu werden. Bereits am 01.11.1893 war die Bahnstrecke Bockhorn - Grabstede eröffnet worden und mit der Umspurung der Strecke Westerstede-Ocholt 1904 waren die Voraussetzungen dafür gegeben.

Am 1. Oktober 1905 wurde die Bahnlinie zwischen Grabstede und Westerstede von Norden her geschlossen. Anfangs verkehrten auf der Strecke sogenannte Omnibuslokomotiven, Lok und Wagen waren so eingerichtet, dass man während der Fahrt vom Führerhaus durch den Zug bis ans Ende desselben gehen konnte. Der Betrieb auf der Durchgangsstrecke führte bald zur Erweiterung der Gleisanlagen verschiedener Bahnhöfe. Ellenserdamm wurde zu einem Endpunkt und Umsteigebahnhof, wodurch auch dort größere Bahnanlagen entstanden. Zwischen den Kriegen blieben die Verkehrsverhältnisse stabil, sogar ein Triebwagen war in Westerstede stationiert.

Im Sommer 1927 verkehrten zwischen Ocholt und Westerstede 7 Personenzugpaare, drei fuhren davon bis Ellenserdamm, einer bis Bockhorn weiter. Zwischen Bockhorn und Ellenserdamm verkehrten insgesamt 8 Personenzugpaare. Um 1930 gab es sogar ein Zugpaar, dass werktags die Strecke Oldenburg – Westerstede befuhr.  Im Jahre 1939 verkehrten werktags 11, sonnabends sogar 12 Zugpaare zwischen Ocholt und Westerstede, 3 (Sa 4) davon fuhren bis Ellenserdamm und einer bis Bockhorn weiter. Zwischen Ellenserdamm und Bockhorn verkehrten außerdem noch 6 Zugpaare, die ab Bockhorn weiter in Richtung Neuenburg fuhren.

Gegen Ende des 2.Weltkrieges wurde die Strecke wiederholt von feindlichen Tieffliegern unter Beschuss genommen, wodurch es zahlreiche Tote und Verwundete unter dem Bahnpersonal zu beklagen gab. Erst im Spätsommer 1945 konnte der Betrieb wieder aufgenommen werden und die Hamsterfahrten aufs Land bestimmten den Alltag. Im letzten Jahr des Personenverkehrs fuhr nur noch ein Zug auf der Gesamtstrecke von Ocholt nach Ellenserdamm, in der Gegenrichtung waren es immerhin noch zwei. Dabei kam es, zu teilweise merkwürdigen Verbindungen, aus dem Sommer-Fahrplan 1953 konnte man  folgende Fahrt eines Schienenbus ablesen: Wilhelmshaven ab 13.48 Uhr, Varel ab 14.30 Uhr, Bockhorn ab 14.59 Uhr, Ocholt ab 16.02 Uhr, Cloppenburg an 17.39 Uhr.

Im Jahre 1951 gab es noch die Stationen: Ellenserdamm – Steinhausen – Bockhorn – Grabstede – Moorwinkelsdamm – Eggelog – Linswege – Westerstede – Südholt – Ocholt.

Am 23.Mai 1954 wurde der Personenverkehr auf der Gesamtstrecke Ocholt – Ellenserdamm eingestellt. Auf der Strecke Ellenserdamm über Bockhorn bis Westerstede wurde der Güterverkehr zum 1. September 1966 eingestellt, noch im selben Jahr begann der Abbau der Gleise zwischen Ellenserdamm und Bockhorn sowie zwischen Grabstede und Linswege. Obwohl von der Betriebspflicht entbunden, führte die Deutsche Bundesbahn zwischen Bockhorn und Grabstede noch bis zum 2. Juni 1991 Güterverkehr durch. Im Mai-Juni 1992 wurde dann aber auch dieser Streckenabschnitt abgebaut.  Auf der Reststrecke Westerstede - Ocholt wurde noch bis zum 31.12.2001 der Güterverkehr für eine Möbelfirma abgewickelt und seit 22.07.1995 auch noch ein touristischer Personenverkehr mit dem Ammerländer Schienenbus der Museumseisenbahn Ammerland-Saterland durchgeführt.

Am 02.03.1985 besuchte der historische Doppelstockwagen des VLV den Bf Westerstede. Die Strecke Ocholt - Westerstede wurde damals noch für Güterverkehr genutzt. ©H.Stolle

Auch wenn der Eisenbahnverkehr zwischen Westerstede und Ocholt ab 01.01.2002 endgültig eingestellt wurde, konnte der Abbau der Schienen verhindert werden und so werden dort nunmehr Draisinenfahrten angeboten. Der Draisinenbahnhof Westerstede befindet sich aber nicht am alten Bahnhof von Westerstede sondern am Rande des Ortes in der Baumschule Böhlje. Es gibt auf der eingleisigen 7 km langen Strecke 3 Haltepunkte, beim Aufenthalt müssen die Draisinen von der Schiene genommen werden, damit nachfolgende Draisinen vorbei fahren können. Bei unserer Fahrt am 30.07.2006 hatten wir das Glück, dass hinter uns keine weiteren folgten, da wir die 3 letzten Draisinen benutzten. Zu beachten ist, dass bei Bahnübergängen der Straßenverkehr immer Vorfahrt hat. Beim Übergang der Kreisstraße nach Torsholt ist der Schienenstrang aus Gründen der Verkehrssicherheit durch eine Schranke gesperrt, diese muss von den Benutzern der Draisinen per Hand geöffnet werden. Am Ziel am Ostbahnhof Ocholt konnten die Wagen der Museumseisenbahn Ammerland-Saterland besichtigt werden, die von Mai bis September zwei Mal im Monat ins Saterland fährt. Da die Draisinenstrecke eingleisig ist darf z.B. von 14 – 16 Uhr nur die Strecke in Richtung Ocholt befahren werden, von 16 – 18 Uhr konnte man dann wieder Richtung Westerstede zurück radeln.

Weitere Informationen findet man hier

Eisenbahnstrecke Cloppenburg - Friesoythe - Ocholt

Cloppenburg – Stationen:Varrelbusch – Garrel – Bösel - Friesoythe – Sedelsberg – Scharrel – Ramsloh – Strücklingen – Elisabethfehn – Barßel – Karolinenhof – Godensholt – Ocholt 63 km

Ab 1899 hatten verschiedene Delegationen des Großherzogtums Oldenburg bereits über einen Bahnanschluss von Cloppenburg nach Ocholt verhandelt, bevor in den Jahren 1904/1905 dann eine Normalspurbahn gebaut werden konnte. Die Streckenführung war so gewählt, dass viele Orte erreicht werden konnten. Am 1. Oktober 1906 wurde der erste Abschnitt von Cloppenburg nach Friesoythe eröffnet. „Um 9:15 Uhr vormittags fuhr der erste Zug, „Lok Heide“, blumengeschmückt, aus Friesoythe und brachte ca. 800 Personen zum Früh-schoppen nach Cloppenburg. Am 01.10.1907 wurde der Abschnitt Friesoythe – Scharrel und am 01.09.1908 die Reststrecke nach Ocholt in Betrieb genommen. Die Bahnstrecke wurde in den folgenden Jahren für Güter- und Personenverkehr reichlich genutzt.

Laut Winterfahrplan 1937/1938 verkehrten 2 Zugpaare zwischen Ocholt und Cloppenburg, 4 Zugpaare verkehrten nur zwischen Ocholt und Friesoythe und 2 Zugpaare nur zwischen Friesoythe und Cloppenburg. Alle Züge verkehrten in der 3. Klasse.

Die beiden über den Küstenkanal führenden Brücken bei Sedelsberg wurden 1945 zerstört, so dass die Verkehrsverbindungen unterbrochen wurden, während laut Fahrplan vom 11.12.1945 zwischen Friesoythe und Cloppenburg bereits wieder ein Zug verkehrte, der um 12.24 Uhr in Friesoythe ankam und um 13.00 Uhr zurückfuhr, ruhte zwischen Sedelsberg und Ocholt noch der Zugverkehr. Bereits im Herbst 1946 war mit dem Bau neuer Eisenbahnbrücken in Scharrel, Ramsloh und Elisabethfehn begonnen worden, so dass seit Oktober 1946 eine Eisenbahnverbindung bis nach Strücklingen bestand. Aus einem Fahrplan vom 22.05.1947 ist ersichtlich das wieder zweimal täglich Güterzüge mit Personenbeförderung von Oldenburg nach Sedelsberg verkehrten.

Nachdem über den Friesoyther Kanal eine Behelfsbrücke gelegt wurde, konnte der Personenverkehr von beiden Seiten bis zur Brücke wieder aufgenommen werden. Mit einer Fähre konnten sich die Fahrgäste dann am Küstenkanal übersetzen lassen, um auf der einen oder anderen Seite mit dem Zug weiterfahren zu können. Erst im Jahre 1949 ersetzte eine kombinierte Straßen-Eisenbahnbrücke, die kurz vor Sedelsberg über den Küstenkanal führte die beiden 1945 zerstörte Brücken, nachdem im Mai 1949 diese neue 84 Meter lange Brücke für den Eisenbahnverkehr freigegeben wurde, stellte sich aber heraus, dass die Klappbrücke über den Friesoyther Kanal bei Schwaneburg vor der Freigabe der Gesamtstrecke erneuert werden musste. Die Züge aus Ocholt fuhren seitdem bis Friesoythe-Kanal, hier konnten die Fahrgäste aber über eine Behelfsbrücke den Zug auf der anderen Seite erreichen.

Im September 1949 musste dann noch kurzfristig die neue Brücke über den Küstenkanal um ca. 30 cm angehoben werden, aber ab 02.10.1949 konnte endlich die Strecke wieder durchgehend befahren werden. Anfangs verkehrten täglich fünf Zugpaare über die gesamte Strecke, eines davon fuhr/kam aus Oldenburg, je ein Zugpaar fuhr nur zwischen Friesoythe und Ocholt bzw. nach Cloppenburg.

Um 1960 wurde der Personenverkehr bereits mit einer Autobuslinie abgewickelt, außer Güterzügen befuhr nur noch werktäglich ein zwischen Oldenburg und Cloppenburg verkehrendes Zugpaar (2.Klasse) auf der Strecke. Noch im Sommer 1968 startete dieser um 5.30 Uhr in Oldenburg und fuhr um 5.56 Uhr ab Ocholt nach Cloppenburg, wo er um 7.38 Uhr eintraf. Der Gegenzug fuhr um 13.27 Uhr in Cloppenburg ab und traf um 15.02 Uhr in Ocholt ein, von wo er um 15.13 Uhr weiterfuhr, Oldenburg erreichte dieser Zug um 15.33 Uhr. Vor 40 Jahren am 29.08.1968 kam für den Reiseverkehr das aus, da die kombinierte Straßen-Eisenbahnbrücke, die kurz vor Sedelsberg  über den Küstenkanal führte abgerissen wurde. Nachdem aber eine neue Straßenbrücke über den Kanal gebaut worden war, hatte die Straßenbaubehörde kein Interesse mehr auch die Kosten für die kombinierte Brücke weiterhin zu übernehmen, auch die Bundesbahn zeigte kein Interesse mehr an der Eisenbahnstrecke, so dass die Eisenbahnbrücke nicht erneuert wurde. Der Streckenabschnitt zwischen Sedelsberg und Friesoythe wurde daher damals stillgelegt. Auf den beiden Teilabschnitten bestand seither nur noch Güterverkehr.

Der VLV-Friesoythe-Express auf Oldenburger Strecken

Bereits am 25.Februar 2006 war der VLV mit seinen Historischen Doppelstock-wagen im Oldenburger Land zu Gast. Befahren wurde nach 21 Jahren wieder die Strecke ins Saterland von Ocholt nach Sedelsberg. Leider konnte ich selbst damals nicht an dieser Fahrt teilnehmen. Laut meinem Bruder konnte der Zug der pünktlich in Oldenburger HBF ankam, erst mit Verspätung abfahren, da die Strecke nach Leer, die wegen eines Unfalls bei Augustfehn gesperrt war, erst kurz vor Abfahrt des VLV-Zuges wieder freigegeben wurde und zunächst die regulären Züge abgefertigt wurden. Die Verspätung wurde aber wieder eingeholt, da man nur bis Scharrel fahren konnte, da eine Weiterfahrt nach Sedelsberg wegen Bauarbeiten an diesem Wochenende nicht möglich war. Trotzdem freute er sich nach langer Zeit wieder mal eine VLV-Fahrt mitgemacht zu haben.

Am 24.Februar 2007 fast auf den Tag genau ein Jahr nachdem das nördliche Teilstück der früheren Eisenbahnnebenstrecke Cloppenburg-Ocholt vom VLV bereist wurde, war diesmal die südliche Teilstrecke Ziel des VLV-Doppelstock-wagen. Diesmal konnte ich auch selbst ab Bremen-Neustadt an der Fahrt teilnehmen. Obwohl der Zug erst mit einer Verspätung von 90 Minuten in Bremen-Neustadt eintraf und auch das Wetter nicht so mitspielte, war es doch ein interessanter Tag.

Zunächst ging es unter Umfahrung des Hauptbahnhofs Oldenburg von der Hauptstrecke Bremen-Oldenburg über die vor Oldenburg am Hemmelsbäker Kanalweg liegende Kurve, die sonst nur von Güterverkehr benutzt wird, auf die Strecke Oldenburg-Osnabrück. In Cloppenburg angekommen, musste die Diesellok V200 033 der Hammer Eisenbahnfreunde erst umgespannt werden, da die vor kurzen reaktivierte Strecke nach Friesoythe vom Bahnhof Cloppenburg in nördlicher Fahrtrichtung verläuft. Von Cloppenburg nach Friesoythe fuhr der frisch lackierte Historische Doppelstockwagen, der inzwischen 70 Jahre auf dem Buckel hat auf dieser alten Strecke zunächst an den Orten Garrel und Bösel vorbei, danach erreichten wir den Bahnhof Friesoythe Hauptbahnhof der Museumseisenbahn Friesoythe-Cloppenburg e.V. Der frühere Bahnhof von Friesoythe lag noch etwas weiter in der Innenstadt, kann aber heute nicht mehr angefahren werden.

Der VLV-Wagen 2006 auf freier Strecke und am Kanal in Elisabethfehn noch fehlt der neue Anstrich. Fotos 1, 2: ©Heiner Stolle

Die Lok Klaus leistet Schwerstarbeit beim Rangieren in Friesoythe Fotos 3, 4: ©Klaus-Dieter Stolle

Die Lok Klaus der „Museumseisenbahn Friesoythe - Cloppenburg e.V.“  musste dann beim Rangieren im Industriegebiet von Friesoythe Schwerstarbeit leisten, damit der Zug wieder in Richtung Cloppenburg zurückfahren konnte. Anschließend wurde noch im Artland die Strecke Bersenbrück- Ankum der Ankum-Bersenbrücker Eisenbahn GmbH (ABE) befahren. In Ankum gab es dann 2 Stunden später als vorgesehen für die inzwischen ausgehungerten VLV-Freunde noch das vorgesehende Essen. Etwa um 18.25 ging es wieder heimwärts. Mehr über meine Fahrten mit dem VLV weiter unten auf dieser Seite.

Außerdem findet man unter Museumseisenbahnen in Nordwestdeutschland weiter unten auf dieser Seite noch etwas über den Verein der besuchten Strecke.

Kreisbahn Cloppenburg: CLP-Bhf - CLP Bahnhofsstr. - CLP Berg - Stapelfeld - Kneheim-Nieholte - Nieh.Mühle-Matrum - Schnelten - Lastrup - Groß-Roscharden - Kleinen Ging - Stühlenfeld - Lindern - Landesgrenze , 29 Km Betrieb 1900 - 1953. 

Bahnstrecke Essen (Oldb) – Lewinghausen (– Haselünne - Meppen) 

Am 12.08.1888 wurde in Anwesenheit des Oldenburger Großherzogs Nikolaus Friedrich Peter die gemeindeeigene Eisenbahnstrecke Essen (Oldb) – Löningen eröffnet. Inoffiziell erreichte aber bereits am 13.07.1888 der erste Zug von Essen aus Löningen. Am 01.04.1895 wurde die Eisenbahnstrecke vom Staat übernommen. Nachdem im Emsland 1894 die Bahnstrecke der Meppen – Haselünner Eisenbahn entstanden war, die 1899 bis Herzlake verlängert wurde,  gab es im Emsland Überlegungen diese Strecke mit der GOE Strecke zu verbinden. Am 01.09.1907 erfolgte dann die Eröffnung der von Löningen bis zur Landesgrenze (Lewinghausen) reichende Strecke und 1908 wurde der Anschluss an die Meppen-Haselünner Eisenbahn hergestellt. Die Strecke entwickelte sich in den Folgejahren hauptsächlich im Güterverkehr sehr positiv. Der Oldenburger Teil der Strecke ging am 05.05.1920 mit der GOE in den Besitz der Deutschen Reichsbahn über.

Stationen: Essen (Oldb) – Bunnen – Löningen – Helmighausen - Lewinghausen, 21 Km, Betrieb bis Lönningen ab 1888 und bis Lewinghausen ab 1907

Im Jahre 1927 verkehrten insgesamt sechs Personenzüge von Löningen nach Essen (Oldb), davon kam einer aus Haselünne und zwei aus Meppen.  Von Meppen aus, verkehrte ein Personenzug bis Herzlake, ein weiterer endete bereits in Haselünne. Von Essen (Oldb) aus fuhren sieben Züge nach Löningen, einer fuhr davon bis Lewinghausen und zwei bis Meppen weiter. Ein weiterer Personenzug fuhr ab Löningen bis nach Meppen und einer ab Haselünne nach Meppen. Die 21 km lange Strecke Lewinghausen – Löningen – Essen (Oldb) wurde am 25.06.1962 für den Reiseverkehr von der DB stillgelegt, das Teilstück Lewinghausen bis Herzlake folgte am 21.05.1966. Im Winter 1966/67 fuhr an Werktagen morgens um 6.30 von Haselünne aus ein Personenzug nach Herzlake (6.45), der um 6.54 von Herzlake über Haselünne (7.19) nach Meppen (7.50) verkehrte. Um 7.40 fuhr ein weiterer Zug ab Haselünne nach Meppen (an 8.04) und um 9.55 von Meppen aus wieder nach Herzlake (10.56). Am Mittag verkehrten Züge von Herzlake (ab 12.13) nach Meppen (an 13.04) und von Meppen (ab 13.25) nach Haselünne ( an 13.55). Erst um 18.58 fuhr dann ab Meppen noch ein Personenzug nach Haselünne (an 19.29). Ansonsten gab es wie an Sonn- und Feiertagen nur Busverkehr. Am 31.12.1970 endete auch auf diesem Streckenabschnitt der Personenverkehr.

Am 26.05.1979 gab die DB die Strecke an die Meppen-Haselünner Eisenbahn ab. Auch heute noch wird die Strecke für den Güterverkehr der Emsländischen Eisenbahn von Meppen aus bis kurz vor Essen (Oldb) genutzt. Außerdem fahren dort noch Züge der Museumsbahn EHH Eisenbahnfreunde Hasetal e.V.

Hier noch einige interessante Links mit Beschreibungen der Strecken der G.O.E. der Bahnstrecke Bremen-Oldenburg-Wilhelmshaven, der Butjadinger Bahn und weiteren Strecken und Kleinbahnen.


Das alte Bahnhofsgebäude, das 2007 von der Stadt Quakenbrück angekauft wurde, ist heute in einen sehr traurigen Zustand. Im Jahre 2009 hieß es noch, das die Vorbereitungen für die Sanierung des Bahnhofsgebäudes auf vollen Touren liefen und 2010 hier mit dem Beginn der Baumaßnahme zu rechnen sei, um die Gebäudesubstanz zu erhalten und dort ein kulturelles Zentrum einzurichten. Auch im Dezember 2012 sind die Fenster noch mit Holzplatten zugenagelt. Es ist zu hoffen, dass dieses Bahnhofgebäude schon bald im neuen Glanz erstrahlt und dann zu einen Besuch des Ortes einlädt.

Bahnhofgebäude Qakenbrück 2012 Foto: H.Stolle

Immerhin um das Gebäude herum hat man den Außenberich schon mal verschönt. Ein Bahnhofsgebäude hatte es bei der Eröffnung der Bahnstrecke Oldenburg – Osnabrück in Quakenbrück zunächst nicht gegeben. Anfänglich wurden die Fahrkarten in einer Gastwirtschaft ausgegeben, bis im November 1875 ein langgestreckter behelfsmäßiger Schuppen erstellt war, der die Funktion eines Bahnhofsgebäudes übernehmen musste. Es sollte dann noch 35 Jahre dauern, bis in Quakenbrück ein repräsentatives Bahnhofsgebäude enstand. Dieses Bahnhofsgebäude ruht auf einer Betonsohle, die zwischen alten Eisenbahnschienen hergestellt ist. Der Bau des 50 Meter langen Tunnels unter den Gleisen bereitete wegen des hohen Grundwasserstands erhebliche Schwierigkeiten. Am 9. November 1909 waren Rohbau und Tunnel fertiggestellt. Am 2. Juli 1910 wurde das Bahnhofsgebäude feierlich eröffnet. Die Baukosten für das Empfangsgebäude betrugen 95.000 Mark für das gesamte Bahnhofsprojekt wurden 960.000 Mark aufgebracht. Im Zweiten Weltkrieg wurde das Bahnhofsgebäude mehrere Male Ziel feindlicher Luftangriffe, das Gebäude selbst blieb glücklicherweise unversehrt erhalten.


Zwischen Ems und Elbe findet der Eisenbahnfreund inzwischen auf verschiedenen Strecken historische Eisenbahnen, hier eine kleine Auswahl mit der entsprechenden Homepageangabe.

Oldenburger Land

Museumseisenbahn Ammerland-Saterland (MAS)

Im Oldenburger Land fährt die Museumseisenbahn Ammerland - Saterland e.V ab dem 01.09.2007 nun von Bad Zwischenahn aus nach Scharrel bei Bedarf auch nach Sedelsberg. www.museumsbahn-ammerland.de/

Zug der Museums-eisenbahn Ammerland-Saterland. Er kommt neben den Triebwagen auch noch zum Einsatz. (Kohlfahrten usw.)Foto:©Klaus-Dieter Stolle

Foto mitte: Jan Harpstedt in Delmenhorst; Foto unten: Bruchhausen-Vilsen ©Heiner Stolle

Museumseisenbahn Friesoythe -Cloppenburg

Ab Ende der 60ziger Jahre hatte allerdings das Auto den Bahn-verkehr fast vollständig abgelöst. Die Bahnhöfe und Haltestellen verfielen immer mehr. Zahlreiche Eisenbahn- und Heimatfreunde des Landkreises Cloppenburg fanden diesen Zustand unerträglich und schlossen sie sich zusammen um die historische Eisenbahnstrecke zu erhalten. Sie gründeten am 12.11.2003: den Verein  „Museumseisenbahn Friesoythe - Cloppenburg e.V.“. Aus eigenen Mitteln kaufte der Verein alte Schienenfahrzeuge und setzte sie wieder instand, schaffte Schienen, Weichen und Werkzeuge an und stellte in vielen Wochenend-arbeitsstunden teilweise den ursprünglichen Zustand der Haltestellen wieder her. An den Jubiläumstagen vom 30. September bis einschließlich 03. Oktober 2006 erinnerten sie an der wiederhergestellten Bahnstrecke, und boten auf ihren Fahrzeugen und denen anderer Eisenbahnvereine (Dampflok) Fahrten an. Dies soll dann künftig auch in den Sommermonaten fortgesetzt werden. Auf dem Teilstück von Ocholt nach Sedelsberg der Eisenbahnstrecke wird heute der Güterverkehr durch die Emsländische Eisenbahn abgewickelt. Die V100 der Emsländischen Eisenbahn bedient die Strecke werktags außer samstags, mo/mi/fr. wird gegen 11 Uhr ab Ocholt gefahren, di/do. gegen 8 Uhr. Hauptgüterkunde ist ein Torfwerk in Sedelsberg. An der Strecke gibt es jedoch auch noch weitere Anschließer. Personenverkehr findet dort noch in Form von Museumsbahnfahrten der Museumseisenbahn Ammerland-Saterland (MAS) von Mai bis September an 2 Tagen im Monat mit einer Schienenbusgarnitur statt. Im Winter gibt es Kohlfahrten mit dem Zug. Beginn der Fahrten: 14.00 Uhr, Ende ca. 18.45 Uhr, Bahnhof Westerstede-Ocholt. Anmeldung unter Tel.: 04488 - 19433 oder Tel.: 04409 - 211. oder per E-Mail: touristik@weserstede.de

Delmenhorst-Harpstedter Eisenbahnfreunde

Stationen 1951: Delmenhorst – Hasporterdamm – Annenheide – Stelle – Groß-Mackenstedt – Heiligenrode – Kirchseelte – Groß-Ippener – Dünsen – Harpstedt.

Die Delmenhorst-Harpstedter Eisenbahn besteht schon seit dem 06.06.1912, der Personenverkehr wurde am 23.09.1967 eingestellt. Seit 1998 betrieb die DHE auch die Nebenbahn Delmenhorst – Lemwerder. Zusammen mit den Delmenhorst-Harpstedter Eisenbahnfreunde e.V. werden mit dem Museumszug „Jan Harpstedt“ Fahrten von Harpstedt nach Delmenhorst veranstaltet.

Bis zum 30.12.2009 gab es auch Fahrten auf der Strecke von Delmenhorst nach Lemwerder, als letzte Bahnstrecke im Land Oldenburg wurde diese Nebenbahn am 01.11.1922 durch die Deutsche Reichsbahn in Betrieb genommen. Während der reguläre Personenverkehr bereits am 27.März 1962 endete, wickelte zwischen 1963 und 1966 im Auftrag der Deutschen Bundesbahn die Delmenhorst-Harpstedter Eisenbahn den verbliebenen Güterverkehr ab. Anschließend gab es auf der Strecke nur noch Sonderfahrten, bevor der Betrieb wegen Baufälligkeit der Strecke zunächst ganz eingestellt werden mußte. Nachdem 1998 die Kommunen die Strecke kauften, gab es seit 2001 regelmäßige Fahren des Museumszuges der DHEF. Zum Jahresende 2009 wurde die Strecke zwischen Hasbergen und Lemwerder gesperrt. Am 30.12.2009 gab es noch zwei letzte Sonderfahrten mit Dampf, damit endete nach 87 Jahren und zwei Monaten der Zugverkehr nach Lemwerder. Siehe hierzu auch einen Bericht der NWZ, sowie die Seite der DHEF unter   Jan Harpstedt

Landkreis Diepholz

Der Landkreis Diepholz grenzt unmittelbar ans Oldenburger Land und die Grafschaft Bruchhausen wurde etwa von ca. 1150 - 1338/1384 von der Oldenburger Grafenlinie Oldenburg-Wildeshausen-Bruchhausen regiert. Im 19.Jahrhundert überlegte Bismarck sogar mal die Grafschaft Hoya im Tausch mit Birkenfeld dem Großherzogtum Oldenburg einzugliedern, was der Großherzog jedoch ablehnte. Aber auch ohne diese Verbindung mit Oldenburg ist hier ein Abstecher in den Landkreis Diepholz unumgänglich, denn die erste Museumseisenbahn Deutschlands hat ihr Zuhause in Bruchhausen-Vilsen. Verschiedende Dampfloks und Triebwagen verkehren regelmäßig auf der acht Kilometer langen Schmalspurstrecke von Bruchhausen-Vilsen nach Asendorf. Außerdem kann man hier ein Kleinbahn-Museum besuchen.

Museumseisenbahn Bruchhausen-Vilsen

Von Mai bis September fährt zweimal im Monat auf der Strecke Eystrup-Hoya-Bruchhausen-Vilsen-Syke der historische Triebwagen T3 mit Namen - "De Kaffkieker" - durch Geest und Marsch. Weitere Informationen und den genauen Fahrplan unter Kaffkieker


Im Januar 2012 hat der Verein Lübecker Verkehrsfreunde (VLV) beschlossen, den Verein im Insolvenz-Verfahren aufzulösen. Am 30.03.2012 wurde beim Amtsgericht Lübeck das Insolvenzverfahren für den Verein eröffnet. Daher ist auch das Schicksal des legendären Doppelstockwagens DW8 – ungewiss, am 03.Mai 2012 stand er noch immer bei den EVB in Bremervörde.

Im Januar 2012 hat der Verein Lübecker Verkehrsfreunde (VLV) beschlossen, den Verein im Insolvenz-Verfahren aufzulösen. Am 30.03.2012 wurde beim Amtsgericht Lübeck das Insolvenzverfahren für den Verein eröffnet. Daher war auch das Schicksal des legendären Doppelstockwagens DW8 – ungewiss, am 03.Mai 2012 stand er noch immer bei den EVB in Bremervörde. Im Jahre 2013 wurde der Doppeldeckwagen der LBE DW 8 jedoch vor dem Schneidbrenner gerettet. Das "Firmenmuseum der Deutschen Bahn AG" vormals "Verkehrsmuseum Nürnberg" hat den Wagen aus der Insolvenzmasse des VLV gekauft.

Hier ein kleiner Rückblick auf Fahrten des VLV, an denen ich in den vergangenden Jahren unternommen habe.

Mit dem VLV unterwegs

Ab 1986 habe ich mit meinen Bruder an mehreren Fahrten des Vereins Lübecker Eisenbahnfreunde (VLV) teilgenommen. Mein Bruder Heiner hatte bereits am 02.03.1985 mit dem „Ammerlandexpress“ eine VLV-Fahrt gemacht, bei der u.a. die Strecke Bad Zwischenahn bis Edewechterdamm befahren wurde. Meine 1.Tagesfahrt unternahm ich am 15.03.1986 mit dem „Nordwestexpress“. In Hude bestiegen wir den aus Lübeck kommenden Historischen Doppelstockwagen der Lübeck-Büchener Eisenbahn und fuhren nach Brake. Von dort wurde die so genannte „Gummibahn“ bis nach Großenmeer befahren, die kurz vor den Abriss stand. Von dort ging es zurück nach Hude und über Oldenburg ging die Fahrt nach Emden-Außenhafen. Bevor wir nach Oldenburg zurückkehrten, wurde noch die still gelegte Strecke zum Bahnhof Aurich befahren, wo uns eine Musikkapelle begrüßte. Als erstes lernte ich bei dieser Fahrt, dass man es unbedingt vermeiden sollte, zwischen dem Zug und den Fotografen zu stehen, da dies ein wütendes Geschrei auslöst, es gibt nämlich nichts Schlimmeres für den Eisenbahnfan, als das sich neben dem Motiv auch ein menschliches Wesen auf dem Foto befindet.

Mein Bruder nahm vom 21.04. bis 23.04.1988 an der VLV – Mehrtagestour, die zunächst ins Sauerland führte teil. Diese schloss eine Besichtigung der Brauerei in Warstein mit ein. Am 23.04 1988 führte die Fahrt weiter über Oldenburg nach Harle weiter. Ich hatte mich zur Ankunft des Zuges im Oldenburger Hauptbahn-hof eingefunden und erkannte unter den Teilnehmer auch bekannte Gesichter von 1986. Ich begleitete den Zug mit dem Auto bis Harlesiel, da ich dort meinen Bruder abholte, der auf das Inselprogramm Wangerooge verzichtete. Ich entschloss mich damals an der nächsten Fahrt des VLV, die er mitmachen würde auch teilzunehmen und so fuhren wir am 20.07.1990 von Hamburg mit dem „VLV-Skagenexpress“ zunächst über Flensburg nach Aalborg/Dänemark. Die Zugfahrt am 21.07. führte uns von Aalborg nach Frederikshavn zur Skagenbahn, die ihr 100jähriges Bestehen feierte. Es wurde natürlich auch eine Zugfahrt nach Skagen unternommen. dort waren einige Museumsfahrzeuge zu besichtigen, darunter befand sich auch das auf dem unteren Bild zu sehenden Strecken-bereisungsfahrzeug. An der Nordspitze Jütlands konnte man sich auch ein Bild von den gewaltigen Wanderdünen machen, die selbst vor einer Kirche keinen halt machten. Nach einer weiteren Übernachtung in Aalborg, fuhren wir am 22.07. zunächst nach Struer, wo man einen modernen Zug der dänischen Bahnen besichtigen konnte. In Ahlbaek besuchten wir noch die Kleinbahn über Holstebro - Frederica - Kolding ging es zurück nach Hamburg. Wegen der verspäteten Ankunft verpassten wir dort unseren Anschlusszug, glücklicherweise wurde uns erlaubt bis Bremen in einem reinen Schlafwagenzug mitzufahren, der dann sogar noch für ein junges Mädchen in Rotenburg hielt. 

Strecken-bereisungs-fahrzeug Foto:©Heiner Stolle

Bilder: vom Bf Müncheberg und dem Zwangsaufenthalt in Podelzig (Fotos Heiner Stolle)

Am 25.04.1991 folgte eine Mehrtagesfahrt in die neuen Bundesländer. Dafür musste man allerdings schon am Vorabend ab Oldenburg starten um früh morgens am HBF Lübeck zu sein. Von dort ging es über Bad Kleinen, Neustrelitz, den Berliner Ring nach Müncheberg. Von dort mit dem auf den unteren Bild abgebildeten Elektrotriebwagen nach Buckow.

Nach der Rückehr wurde auf dem Bahnsteig in Müncheberg ein improvisiertes Mittagessen eingenommen. Danach fuhren wir mit dem VLV-Zug von Müncheberg Richtung Kietz, kurz vor Kietz ging es weiter in südlicher Richtung.

Nach einem Zwangsaufenthalt in dem am Ende der Welt liegenden Bahnhof Podelzig  (s.Bild) ging es über Frankfurt (Oder) zum Tagesziel Altenberg zwecks Übernachtung in einem ehemaligen FDGB-Heim. Der 2.Tag führte uns nach Radebeul, von dort wurde eine Fahrt mit dem Dampfzug nach Radeburg unternommen. Das Ziel war Senftenberg, der Übernachtungsort für die nächsten zwei Nächte. Als erstes erwartete uns ein Abendessen in einer Konsumgaststätte. Statt der geplanten Hotelunterkunft gabs Privatunterkünfte. Die Zugfahrten führten u.a. noch nach Bautzen, Zittau und die Sächsische Schweiz. Am 29.04.1991 ging es über Rosslau, Brandenburg und Rathenow wieder heimwärts. Foto:©Klaus-Dieter Stolle

Es folgte am 26.09.1992 eine Tagesfahrt mit dem VLV-Sonderzug Heide-Börde-Express. Wir stiegen in Braunschweig zu und fuhren im historischen Steuerwagen zunächst nach Salzgitter-Watenstedt zur Besichtigung des Werkmuseums der Firma Linke-Hofmann-Busch anschließend ging es weiter nach Staßfurt auf das Gelände des Traditions-Bahnbetriebswerkes Staßfurt (siehe Bild unten). Über Magdeburg, wo wir noch einen unfreiwilligen Aufenthalt bei Biederitz hatten ging es nach Lehrte und dann Richtung Heimat.

Weitere Fahrten folgten: vom 30.10. bis 01.11.1992 nahm ich an der Fahrt mit dem Thüringen Express zunächst nach Gotha. Vom Bahnhof fuhren wir mit der Gothaer Waldstraßenbahn über Land An einen Bahnhof erwartete uns der VLV-Zug der uns nach Suhl brachte. Von dort wurden Fahrten in den Thüringer Wald und nach Schweifurt unternommen.

Vom 15.09. bis 18.09.1994 ging es von Lehrte zur Sektkellerei Rotkäppchen in Freyburg, nach Karlsbad (Becherovkakeller), in die Sächsische Schweiz mit Elbschifffahrt von Königstein nach Pirna, weiter nach Chemnitz, Schwarzenberg, Zwickau und Amerika (allerdings in Sachsen). Vom 31.08. bis zum 03.09.1995 fuhren wir nach Chemnitz, Seiffen, Prag. Vom 06.09.1996 bis zum 09.09.1996 ging es über Wittenberg nach Cottbus, Görlitz, Löbau, und in den Fläming. Bei dieser Tour durfte ich auch mal auf der Lok mitfahren.


Die "Landwührden" Die erste Lokomotive "Landwührden" lieferte Krauss im März 1867 an die Oldenburgische Staatsbahn. Es war zu gleich das Erstlingswerk der jungen Lokomotivenfirma Krauss in München. Der Name wurde vom Auftraggeber gewählt; sie taufte ihre Lokomotive auf die Namen von norddeutschen Landstrichen. Die Bayerische Staatsbahn bezog ihre Lokomotiven (seit 1841) von den Maffei-Werken. Bevor die "Landwührden" ihren Dienst aufnahm, wurde sie auf der Pariser Weltausstellung 1867 vorgeführt und erhielt dort eine Goldmedaille.

Die T3

Die T3 wurde zum Inbegriff der Kleinbahnlokomotive. Gerade weil sie Dank ihrer Einfachheit und Unkompliziertheit unter den vorherrschende Betriebsbedingungen ein sehr wirtschaftliches Traktionsmittel darstellten. Für die gestiegenen Anforderungen im Verschiebedienst beschaffte die Großherzoglich Oldenburgische Eisenbahn (G.O.E.) zwischen 1898 und 1925 insgesamt 15 Lokomotiven. Die T3 der G.O.E. fanden ein weiteres Einsatzfeld im Zugdienst auf Nebenstrecken. Diese zweite Ausführung hatte eine Rostfläche von 1,35m² bei einer Heizfläche von 59,1m². Alle im Zugdienst stehenden Lokomotiven erhielten neben der Heberlein-Bremseinrichtung eine Luftdruckbremse. Die Lokomotiven für den Verschiebedienst erhielten diese Einrichtungen nicht. Zudem waren die Rostfläche auf 1,0m² und die Heizfläche auf 57,2m² reduziert. Im Umzeichnungsplan der DRG von 1925 wurden alle oldenburgischen T3 umnumeriert und übernommen. Die Deutsche Reichsbahn hat die T3 der G.O.E. abweichend vom üblichen Schema als 98 201 - 98 215 eingereiht.

Die Fahrzeuge der Baureihe 50.70, G1 waren Güterzuglokomotiven der Großherzoglich Oldenburgische Staatseisenbahnen. Die Lok war sowohl für den Betrieb mit Schlepptender als auch als Tenderlok ausgelegt. Von der Reichsbahn sollten insgesamt 19 Maschinen übernommen werden und die Nummern 51 7001 - 51 7019 erhalten. Auf der Weltaustellung 1867 erhielt ein Exemplar dieser Lok, es trug den Namen Landwürden, eine goldene Medaille. Diese Maschine befindet sich heute im Deutschen Museum in München. Die Fahrzeuge waren mit Schlepptendern der Bauart 2 T ausgestattet.

www.kdtroeger.de/d.htm

Eine Interessante Internetseite für Dampflokfans www.dampflokwerk.de/deutsch/index.htm

© 2005 - 2024 Klausdstolle

Zurück zur Startseite